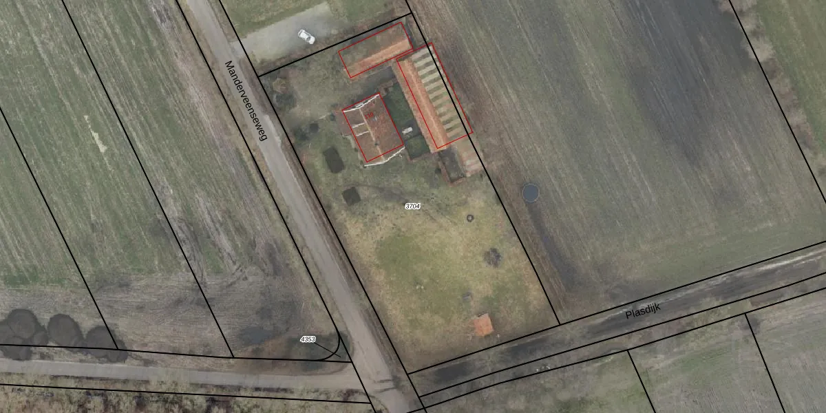
Perceel: TBG02-B-3704
KadastraleKaart.com kan meer dan je denktOntdek meer ›
Filter op bestemming 50+ datasets Eigendomsdata in één klik Percelen CRM
3.195 m2 - 244 m
Eigenaar opvragen
TBG02-B-3704 (Tubbergen)
- 7664 VW
mpcqm HPC iqTCEG9HUpgrade naar KadastraleKaart Pro
Verkoopprijs opvragen
Bekijk op Street View
Download DWG/DXF/Excel
r7K w3FPSZHK8 cg aEUpgrade naar KadastraleKaart Pro
A9JxTC9qczYq4c4ozzUpgrade naar KadastraleKaart Pro
JRuCwdD z02 mRP9bUpgrade naar KadastraleKaart Pro
uE5 LwEJ6obd SUIajsUpgrade naar KadastraleKaart Pro
6QpSG2v4B 3FVdrm4VTtGUpgrade naar KadastraleKaart Pro
Ii vlCeNpqUpgrade naar KadastraleKaart Pro
sH7 fNjnUWOGHtXbZg2Upgrade naar KadastraleKaart Pro
vDbZbt8KbnODUpgrade naar KadastraleKaart Pro
J2qdkKVzkx6RMJdP8Upgrade naar KadastraleKaart Pro
D5ugrxzBfpWnUpgrade naar KadastraleKaart Pro
01/11/2000

Percelen
Gebruik de zoekbalk of klik op een perceel om informatie over het perceel te bekijken.