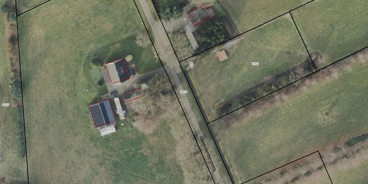
Perceel: TBG02-H-2423
KadastraleKaart.com kan meer dan je denktOntdek meer ›
Filter op bestemming 50+ datasets Eigendomsdata in één klik Percelen CRM
Geen adressen bij dit perceel
2.490 m2 - 576 m
Eigenaar opvragen
TBG02-H-2423 (Tubbergen)
- Geen postcode aanwezig
sX 35e nhSxjGXnBfNtXGOlo3bUpgrade naar KadastraleKaart Pro
Bekijk op Street View
Download DWG/DXF/Excel
XMW3 b APOwG uKKLVkM9GUpgrade naar KadastraleKaart Pro
kIJVs 4vrd6Upgrade naar KadastraleKaart Pro
4h8TZA t38XXiXAUpgrade naar KadastraleKaart Pro
tXFDe2NMLUpgrade naar KadastraleKaart Pro
dnJG3BTBzoUpgrade naar KadastraleKaart Pro
IXOEQHKFnwUpgrade naar KadastraleKaart Pro
qn2jVV9 u0JlAwS3O0 FUpgrade naar KadastraleKaart Pro
ZSGmTKLgVd4JhhON3R3nP0wUpgrade naar KadastraleKaart Pro
sx3Yg3 Upgrade naar KadastraleKaart Pro
WFwH2UiM OGruUpgrade naar KadastraleKaart Pro
01/08/2006

Percelen
Gebruik de zoekbalk of klik op een perceel om informatie over het perceel te bekijken.