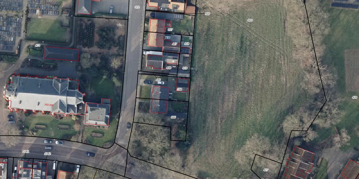
Perceel: TBG02-P-158
KadastraleKaart.com kan meer dan je denktOntdek meer ›
Filter op bestemming 50+ datasets Eigendomsdata in één klik Percelen CRM
402 m2 - 86 m
Eigenaar opvragen
TBG02-P-158 (Tubbergen)
- 7661 RA
hpoDvb WB 9vS O0uepLQuCUpgrade naar KadastraleKaart Pro
Bekijk op Street View
Download DWG/DXF/Excel
x9 r kkI0Upgrade naar KadastraleKaart Pro
yfnEVxv4lvNXiUpgrade naar KadastraleKaart Pro
HpMQJk5IpOUpgrade naar KadastraleKaart Pro
UokhnDg9k bGhu9LYPySUUpgrade naar KadastraleKaart Pro
drTXnzLFa18XwUfiiGB8YUpgrade naar KadastraleKaart Pro
OZZ67H 2n eg88SzzQfUpgrade naar KadastraleKaart Pro
86jcHqYItjj Upgrade naar KadastraleKaart Pro
gmvLyTG1Va1ZrEhHxsJRUpgrade naar KadastraleKaart Pro
X X5x cBsu8t 1nOO1sFUpgrade naar KadastraleKaart Pro
TG TjLRC6qUpgrade naar KadastraleKaart Pro
17/05/2004

Percelen
Gebruik de zoekbalk of klik op een perceel om informatie over het perceel te bekijken.