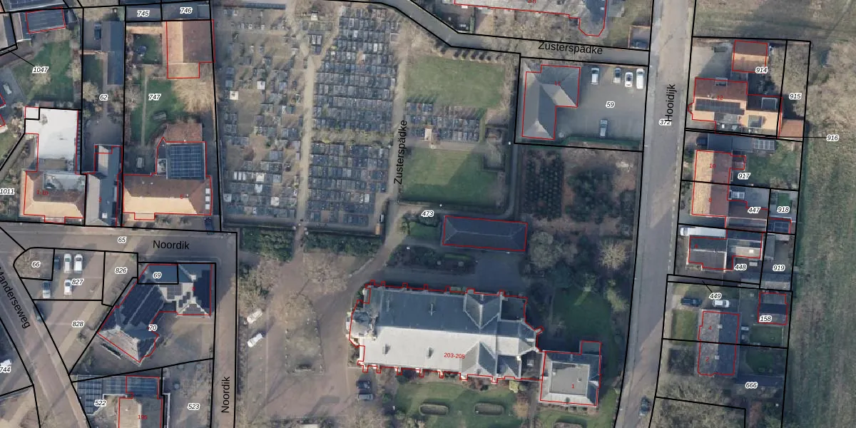
Perceel: TBG02-P-473
KadastraleKaart.com kan meer dan je denktOntdek meer ›
Filter op bestemming 50+ datasets Eigendomsdata in één klik Percelen CRM
8.509 m2 - 391 m
Eigenaar opvragen
TBG02-P-473 (Tubbergen)
- 7661 RK -7661 RA
THjWCgGgRm f9 VCUpgrade naar KadastraleKaart Pro
Bekijk op Street View
Download DWG/DXF/Excel
QS5 hTF Upgrade naar KadastraleKaart Pro
eDO1jD jF7UFWm 367leVUpgrade naar KadastraleKaart Pro
xGX3w DeHleq0m5Upgrade naar KadastraleKaart Pro
p PUU kFWX9m996IbmV4IevUpgrade naar KadastraleKaart Pro
o36Nyz yT7M8PF kJ1uzyjUpgrade naar KadastraleKaart Pro
ADR3TqD6eKgBBWHuUpgrade naar KadastraleKaart Pro
j 5LjAfZdDqm9 cm5DUpgrade naar KadastraleKaart Pro
rbb5FAkPbqqNniKSUpgrade naar KadastraleKaart Pro
3N Wb5zofEUG SOs8newFDUpgrade naar KadastraleKaart Pro
5t4FGc Upgrade naar KadastraleKaart Pro
29/07/2011

Percelen
Gebruik de zoekbalk of klik op een perceel om informatie over het perceel te bekijken.