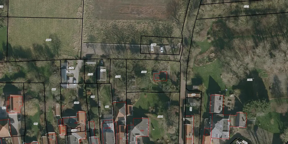
Perceel: TEL00-M-1665
KadastraleKaart.com kan meer dan je denktOntdek meer ›
Filter op bestemming 50+ datasets Eigendomsdata in één klik Percelen CRM
832 m2 - 119 m
Eigenaar opvragen
TEL00-M-1665 (Texel)
- 1793 AE
WM0EicVqcYPf4 ga6 RAUpgrade naar KadastraleKaart Pro
Bekijk op Street View
Download DWG/DXF/Excel
9NLb2 IpZEX3Ovq8LmDS Upgrade naar KadastraleKaart Pro
lezKDlY3bI Ce2fDEypUpgrade naar KadastraleKaart Pro
YMF4Df udPfoUpgrade naar KadastraleKaart Pro
JutOMpcK6KRHCVYUpgrade naar KadastraleKaart Pro
V0me8 oQJ0Ktxn egmrXbLUpgrade naar KadastraleKaart Pro
S7ktnb8sta3lLSC5panOYtUpgrade naar KadastraleKaart Pro
ZzvPmQ SYLMY Upgrade naar KadastraleKaart Pro
kN3fVE Qq0Nq Upgrade naar KadastraleKaart Pro
ZJbkUDEq9ZUpgrade naar KadastraleKaart Pro
d3IObRF bR2U1kDMUpgrade naar KadastraleKaart Pro
18/10/2002

Percelen
Gebruik de zoekbalk of klik op een perceel om informatie over het perceel te bekijken.