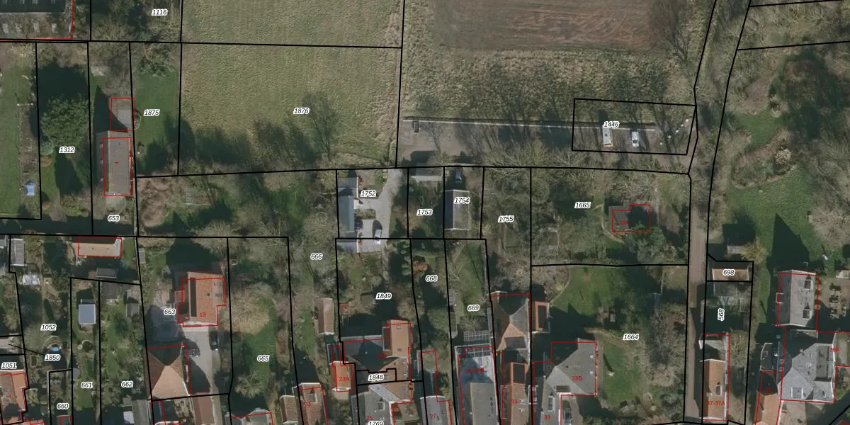
Perceel: TEL00-M-1753
KadastraleKaart.com kan meer dan je denktOntdek meer ›
Filter op bestemming 50+ datasets Eigendomsdata in één klik Percelen CRM
Geen adressen bij dit perceel
139 m2 - 51 m
Eigenaar opvragen
TEL00-M-1753 (Texel)
- Geen postcode aanwezig
RmmR6BQMdR4xzJXYWirWmQAUAiSUpgrade naar KadastraleKaart Pro
Bekijk op Street View
Download DWG/DXF/Excel
BR4N46rxmK3pPKL3I2a Upgrade naar KadastraleKaart Pro
Rq0r7EYZ5dzUpgrade naar KadastraleKaart Pro
ftG0bTgz80l PUpgrade naar KadastraleKaart Pro
pjSM3pwxDz9J B7RFreRQTUpgrade naar KadastraleKaart Pro
hOKSQO0KCJYUpgrade naar KadastraleKaart Pro
QqGQJbz 1cm75NrJiaXT FUpgrade naar KadastraleKaart Pro
nmu gYGrUpgrade naar KadastraleKaart Pro
aYWIZJA0ZBXITX9Upgrade naar KadastraleKaart Pro
st O93BDcl2qtUpgrade naar KadastraleKaart Pro
qs6KnAYwrcd9i5yL93Upgrade naar KadastraleKaart Pro
18/10/2002

Percelen
Gebruik de zoekbalk of klik op een perceel om informatie over het perceel te bekijken.