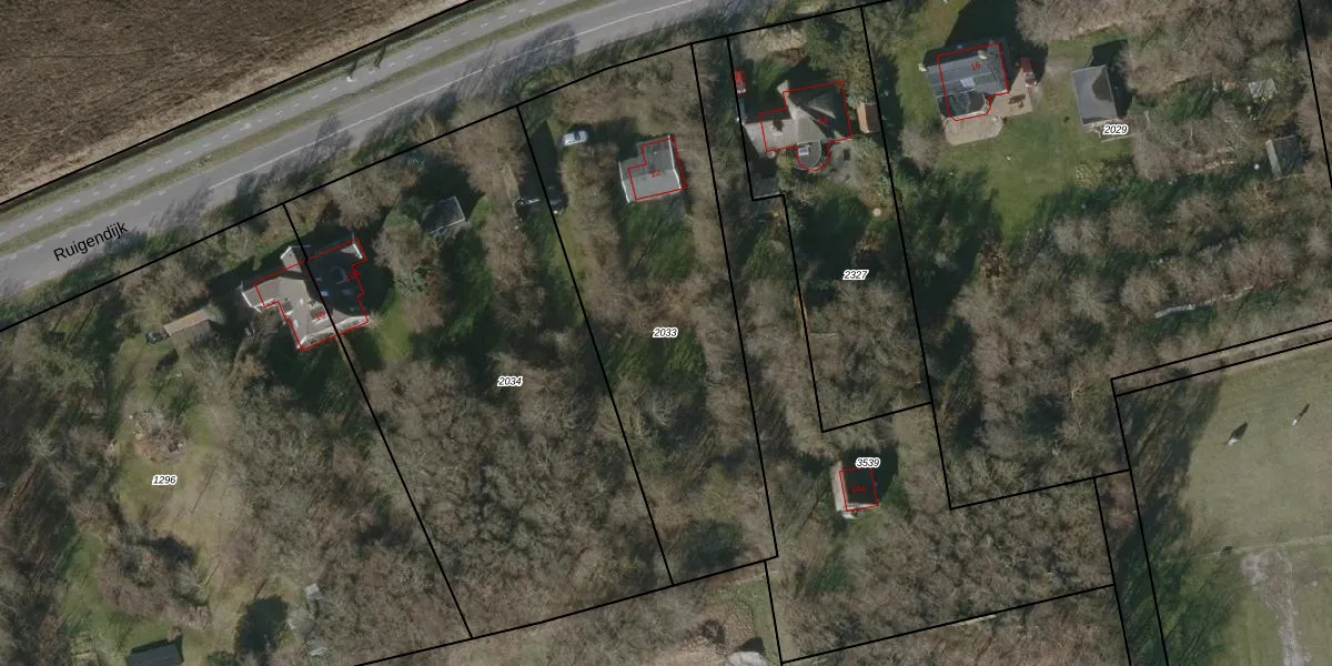
Perceel: TEL00-T-2033
1.690 m2 - 198 m
Eigenaar opvragen
TEL00-T-2033 (Texel)
- 1796 MP
OQpw6w 2x0VTGJEl4VAUpgrade naar KadastraleKaart Pro
Bekijk op Street View
Download DWG/DXF/Excel
61vllKZUhSUpgrade naar KadastraleKaart Pro
g E rr2 UTT2 cj5jjE 52Upgrade naar KadastraleKaart Pro
0GtJoCEbsUIzAwUpgrade naar KadastraleKaart Pro
IkfZ kv6qGkwnLUpgrade naar KadastraleKaart Pro
3IG 3PKAO6Agjgm0eEeUpgrade naar KadastraleKaart Pro
A 1Vyc 0 ZWrc9GQDvVAdLIUpgrade naar KadastraleKaart Pro
vi0NbUsuyIgRJGajNYUpgrade naar KadastraleKaart Pro
Nc4KJzsQHPmTj YvvUUpgrade naar KadastraleKaart Pro
RUJOZdedVF 14SeFfURaIUpgrade naar KadastraleKaart Pro
4DkkJgxw z2dWzMbZeXYUpgrade naar KadastraleKaart Pro
13/09/2010

Percelen
Gebruik de zoekbalk of klik op een perceel om informatie over het perceel te bekijken.