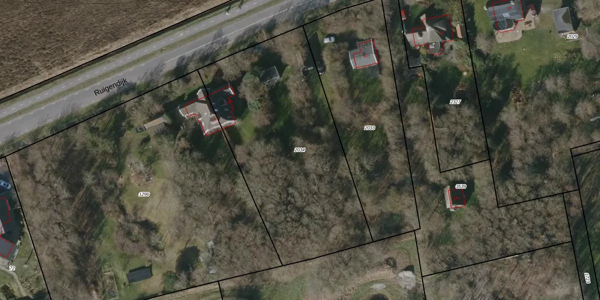
Perceel: TEL00-T-2034
2.567 m2 - 217 m
Eigenaar opvragen
TEL00-T-2034 (Texel)
- 1796 MP
8Ni4Fgz9 lQi0p8x9xfT HGUpgrade naar KadastraleKaart Pro
Bekijk op Street View
Download DWG/DXF/Excel
4cQ mOWkx ExT3TR38hnzzUpgrade naar KadastraleKaart Pro
oWW g5JoaNn2uGzz0Upgrade naar KadastraleKaart Pro
LWEi6eIKwfL0SNSvpqC zUpgrade naar KadastraleKaart Pro
N8m AFQpPgCL2b Upgrade naar KadastraleKaart Pro
5xOQHriolvAMZUpgrade naar KadastraleKaart Pro
hV03ElV5Djuo4N3k4Upgrade naar KadastraleKaart Pro
Uz9hjoWY TJr09NaUUpgrade naar KadastraleKaart Pro
4J 4IxzLUpgrade naar KadastraleKaart Pro
WY 9LMBzNUpgrade naar KadastraleKaart Pro
mjf WK2ZQh5Upgrade naar KadastraleKaart Pro
13/09/2010

Percelen
Gebruik de zoekbalk of klik op een perceel om informatie over het perceel te bekijken.