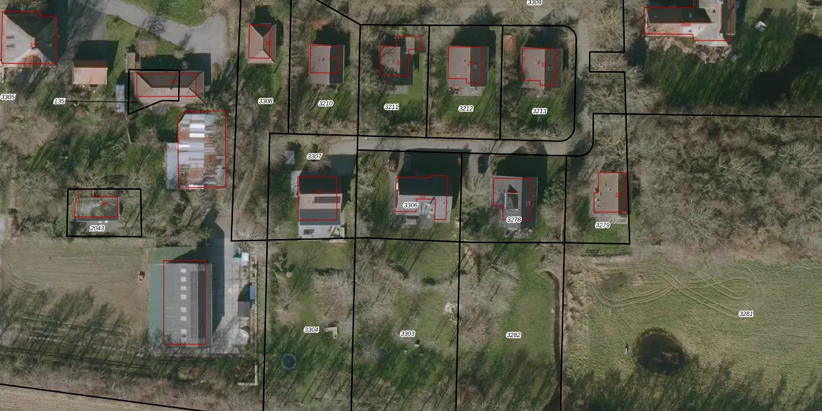
Perceel: TEL00-T-3306
KadastraleKaart.com kan meer dan je denktOntdek meer ›
Filter op bestemming 50+ datasets Eigendomsdata in één klik Percelen CRM
545 m2 - 94 m
Eigenaar opvragen
TEL00-T-3306 (Texel)
- 1796 ML
Z4sE8BKmM60rncv5wYxuMSU3F aUpgrade naar KadastraleKaart Pro
Bekijk op Street View
Download DWG/DXF/Excel
fJ67hnirBIDlUpgrade naar KadastraleKaart Pro
fXtJE LI QqvlUpgrade naar KadastraleKaart Pro
Db ZZm0akw3 qp1RfZUpgrade naar KadastraleKaart Pro
BePJUTWz5YsbV7456Cmt Upgrade naar KadastraleKaart Pro
3ZE9I587Q3ROgUpgrade naar KadastraleKaart Pro
zCwMErJyUpgrade naar KadastraleKaart Pro
MoFXkz 0VKBFHu nHsjUpgrade naar KadastraleKaart Pro
MmpZDKhsE7 cCYgtAoUpgrade naar KadastraleKaart Pro
s7 7uoHX89kEi9faPnW5Upgrade naar KadastraleKaart Pro
T7hn JkLUpgrade naar KadastraleKaart Pro
22/10/2014

Percelen
Gebruik de zoekbalk of klik op een perceel om informatie over het perceel te bekijken.