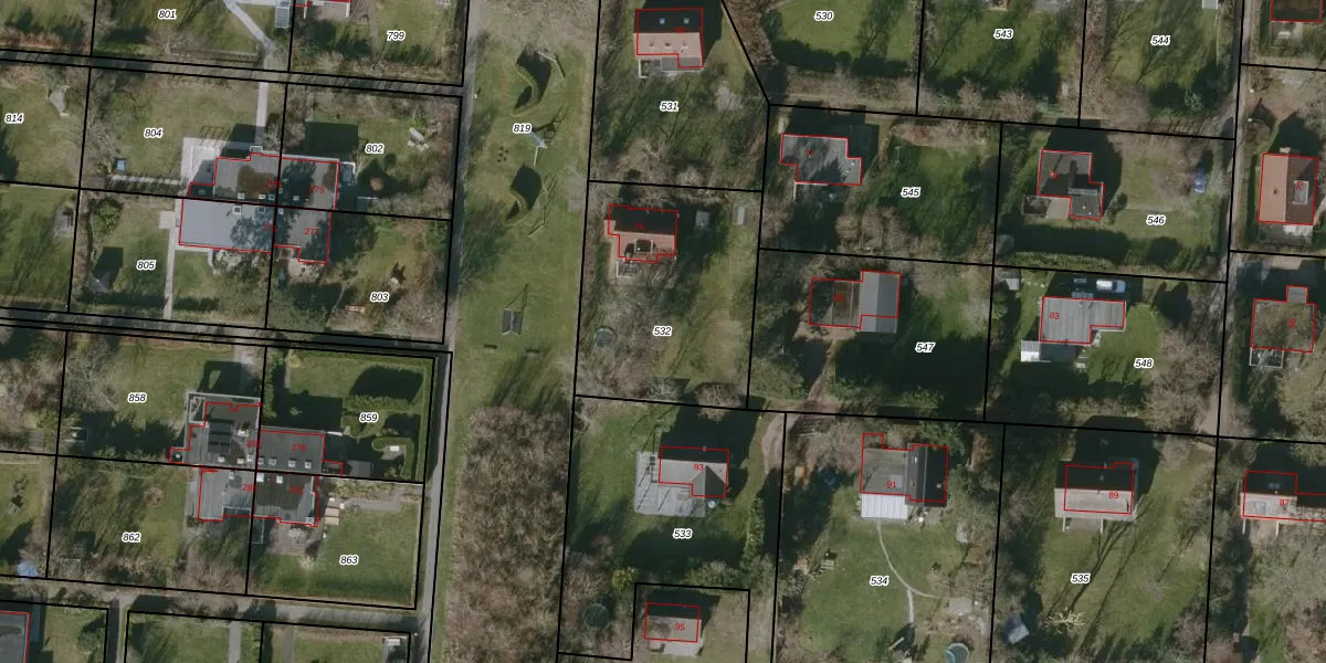
Perceel: TEL00-T-532
842 m2 - 118 m
Eigenaar opvragen
TEL00-T-532 (Texel)
- 1796 PB
XPv2O28gU zdMOGdS lS1wUpgrade naar KadastraleKaart Pro
Bekijk op Street View
Download DWG/DXF/Excel
RfYRTD mb8qVhoKq6zUpgrade naar KadastraleKaart Pro
y4Nte9I bbL9I P Upgrade naar KadastraleKaart Pro
XyU KZ2tOki8lWS2PUpgrade naar KadastraleKaart Pro
cK1sQzNg76CCIuB 2FwB Upgrade naar KadastraleKaart Pro
0LphANQqlm 1 pCSUpgrade naar KadastraleKaart Pro
BrQWAGz3qpt0IalX6Upgrade naar KadastraleKaart Pro
JW8W yNzP7Upgrade naar KadastraleKaart Pro
WM5vE6lb yjgs aUpgrade naar KadastraleKaart Pro
SUW uFRE42eknOb1YUpgrade naar KadastraleKaart Pro
Lh8y4KIyt 9W HBUpgrade naar KadastraleKaart Pro
15/11/2010

Percelen
Gebruik de zoekbalk of klik op een perceel om informatie over het perceel te bekijken.