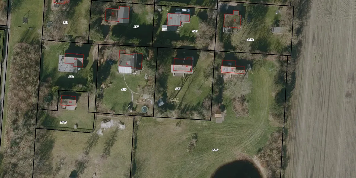
Perceel: TEL00-T-535
1.283 m2 - 143 m
Eigenaar opvragen
TEL00-T-535 (Texel)
- 1796 PB
ZqNDF7MoG cUcrbF17MGC 9AsXUpgrade naar KadastraleKaart Pro
Bekijk op Street View
Download DWG/DXF/Excel
51uqKYMC rj1cBI1N5M Upgrade naar KadastraleKaart Pro
p4Q vmLjiHGGOEyUpgrade naar KadastraleKaart Pro
oK Iaq864DcnHfUUpgrade naar KadastraleKaart Pro
AOnDaHZf7zUpgrade naar KadastraleKaart Pro
CNHlEkHP0Upgrade naar KadastraleKaart Pro
wmsgu5f c8 hUUpgrade naar KadastraleKaart Pro
P o1OBJ pRkN2Xl59LR7Upgrade naar KadastraleKaart Pro
32ZGrIQAA3nu nn0alq 6JUpgrade naar KadastraleKaart Pro
2WGVY0YTftmLJZeoVYQ658Upgrade naar KadastraleKaart Pro
myTmGc 8 Pnbb XYoDwn3kBUpgrade naar KadastraleKaart Pro
15/11/2010

Percelen
Gebruik de zoekbalk of klik op een perceel om informatie over het perceel te bekijken.