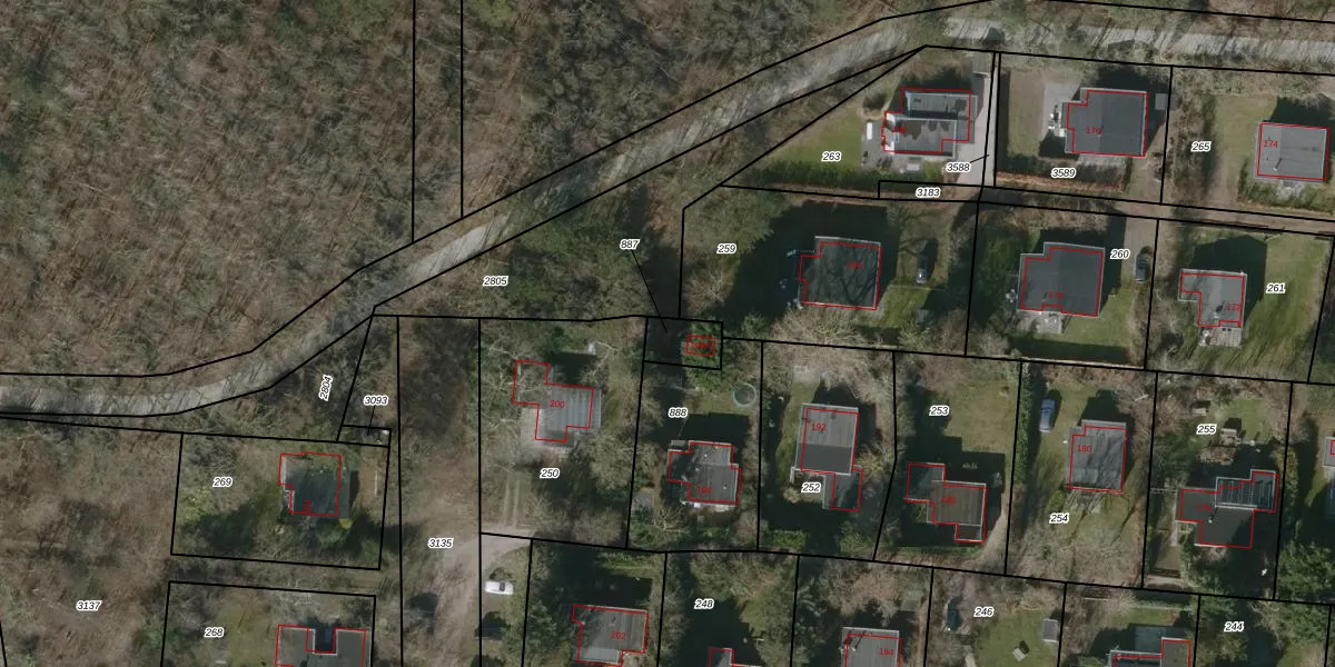
Perceel: TEL00-T-887
68 m2 - 37 m
Eigenaar opvragen
TEL00-T-887 (Texel)
- Geen postcode aanwezig
4gLMuvVP jzQIi1g7GN mu7JpUpgrade naar KadastraleKaart Pro
Bekijk op Street View
Download DWG/DXF/Excel
dLFDlnpWLTRdfZm54 NUpgrade naar KadastraleKaart Pro
RCkIz1bgn 97Upgrade naar KadastraleKaart Pro
cAWahnN nG9KEA v8fE pUpgrade naar KadastraleKaart Pro
gfzcWOzdsUpgrade naar KadastraleKaart Pro
ab X0ndCZshQ6oGUpgrade naar KadastraleKaart Pro
vaeOfzH Upgrade naar KadastraleKaart Pro
qwNmvita 9cmF Upgrade naar KadastraleKaart Pro
LIG7gOAo3L hUpgrade naar KadastraleKaart Pro
GEkPzT KopzHjtkYsZDdoxUpgrade naar KadastraleKaart Pro
Y KkpJn3s19Ioma5Upgrade naar KadastraleKaart Pro
10/11/2010

Percelen
Gebruik de zoekbalk of klik op een perceel om informatie over het perceel te bekijken.