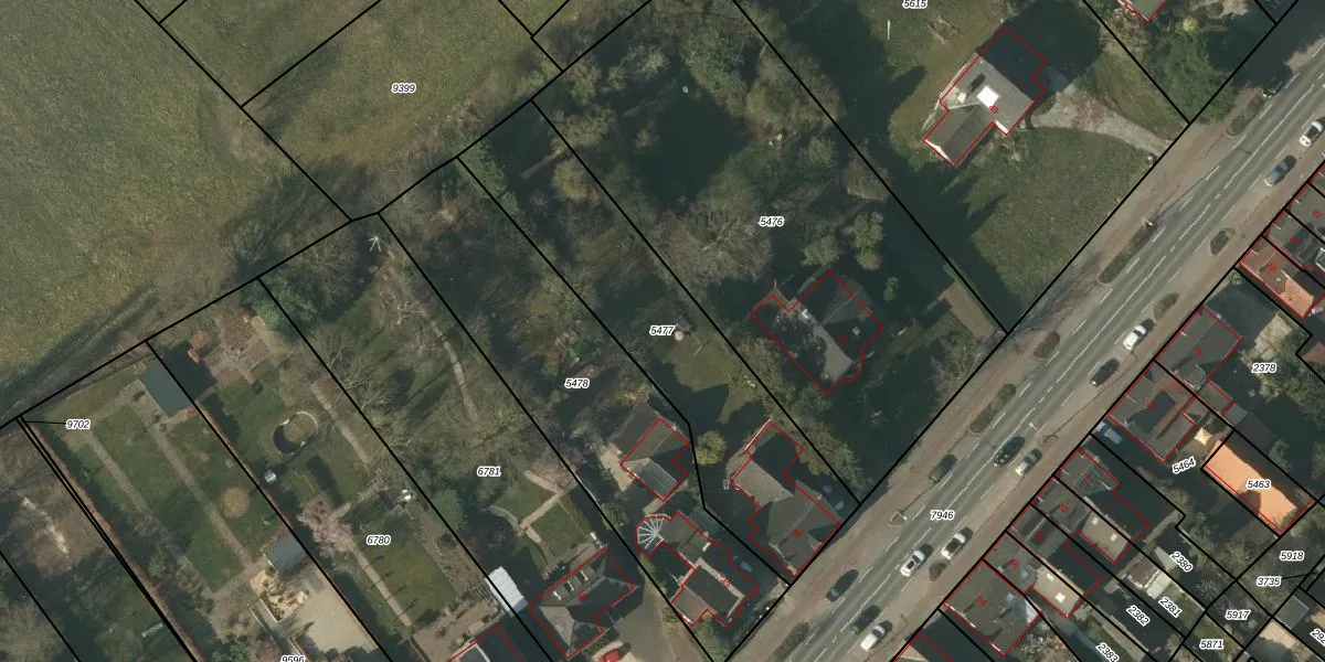
Perceel: TGL00-A-5477
1.145 m2 - 193 m
Eigenaar opvragen
TGL00-A-5477 (Tegelen)
- 5931 GS
YgPRbsQONIlrXTAC Qj L4WB OT3Upgrade naar KadastraleKaart Pro
Verkoopprijs opvragen
Bekijk op Street View
Download DWG/DXF/Excel
znihhiYuMSssp T9VGUpgrade naar KadastraleKaart Pro
RokwGK0H0L ryp HC7Upgrade naar KadastraleKaart Pro
H8yFY93T43FAFcfnE6jp97mUpgrade naar KadastraleKaart Pro
me pTxW9Vgj9NXUpgrade naar KadastraleKaart Pro
uOY6 dpT2uKUpgrade naar KadastraleKaart Pro
4 3Bt8aRNkD0QCbEDgZ01DUpgrade naar KadastraleKaart Pro
eauJOQCA2Upgrade naar KadastraleKaart Pro
Dv PurymgGgVUpgrade naar KadastraleKaart Pro
t0BVoJhXzokUpgrade naar KadastraleKaart Pro
9 WhPtC omRBcl4hmuiW vUpgrade naar KadastraleKaart Pro
01/08/2006

Percelen
Gebruik de zoekbalk of klik op een perceel om informatie over het perceel te bekijken.