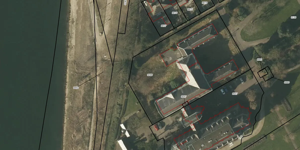
Perceel: TGL00-A-9098
KadastraleKaart.com kan meer dan je denktOntdek meer ›
Filter op bestemming 50+ datasets Eigendomsdata in één klik Percelen CRM
3.424 m2 - 239 m
Eigenaar opvragen
TGL00-A-9098 (Tegelen)
- 5935 BG
HwJhmoltxMoxKVr4X DPUpgrade naar KadastraleKaart Pro
Bekijk op Street View
Download DWG/DXF/Excel
ews266U33pNFvAUpgrade naar KadastraleKaart Pro
F Nh8 nU NWUpgrade naar KadastraleKaart Pro
W3bAgWOg2 jx5zJIUpgrade naar KadastraleKaart Pro
72xcnvA07 pJUhK cP8y4Upgrade naar KadastraleKaart Pro
aWK3KBuLy 9syUafUpgrade naar KadastraleKaart Pro
AvBOD0UCA MqBEwUtKqUpgrade naar KadastraleKaart Pro
Gz0cB4GTt Gm8Upgrade naar KadastraleKaart Pro
hJwzxgoz FVdRUpgrade naar KadastraleKaart Pro
2L2qhTfjUpgrade naar KadastraleKaart Pro
gCYq2G4dBJRBkHrw C Upgrade naar KadastraleKaart Pro
29/01/2009

Percelen
Gebruik de zoekbalk of klik op een perceel om informatie over het perceel te bekijken.