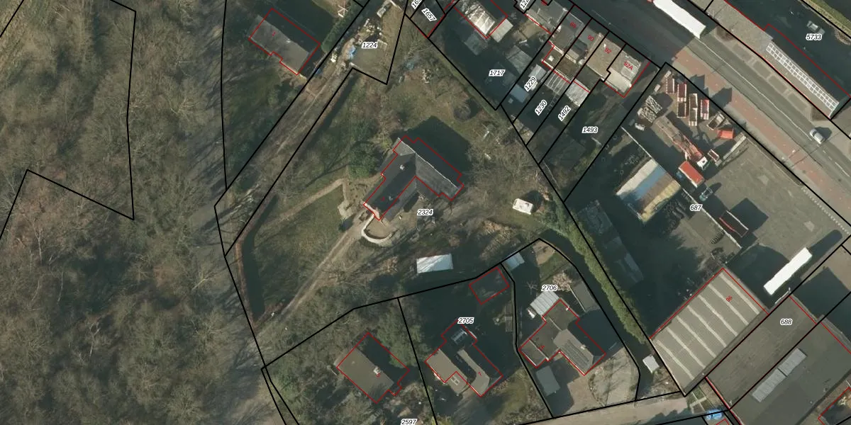
Perceel: TGL00-D-2324
KadastraleKaart.com kan meer dan je denktOntdek meer ›
Filter op bestemming 50+ datasets Eigendomsdata in één klik Percelen CRM
3.608 m2 - 350 m
Eigenaar opvragen
TGL00-D-2324 (Tegelen)
- 5932 XE
9IoAtzE4Hteb7N 0NK99i78ZUGvm1Upgrade naar KadastraleKaart Pro
Verkoopprijs opvragen
Bekijk op Street View
Download DWG/DXF/Excel
AuzwE8p5rUpgrade naar KadastraleKaart Pro
WdYIbgTeAPcHsyQTlyb6Upgrade naar KadastraleKaart Pro
bAuD 7LDHQd8Upgrade naar KadastraleKaart Pro
WPcjQe1SH31YfZm bF292tUpgrade naar KadastraleKaart Pro
E05yUgJVGg1rd 0QhUpgrade naar KadastraleKaart Pro
mVZo1J u DUpgrade naar KadastraleKaart Pro
TKi rjVgez tY8kRtKF2Upgrade naar KadastraleKaart Pro
r5SKdQa Upgrade naar KadastraleKaart Pro
wtLFXcVPcFS5M nUpgrade naar KadastraleKaart Pro
vh1J0uT gH5gsUpgrade naar KadastraleKaart Pro
25/10/2006

Percelen
Gebruik de zoekbalk of klik op een perceel om informatie over het perceel te bekijken.