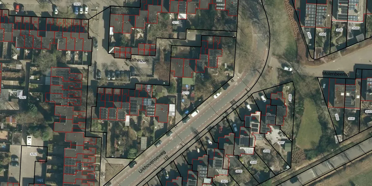
Perceel: TGR00-C-3272
KadastraleKaart.com kan meer dan je denktOntdek meer ›
Filter op bestemming 50+ datasets Eigendomsdata in één klik Percelen CRM
2.493 m2 - 258 m
Eigenaar opvragen
TGR00-C-3272 (Tongelre)
- 5641 NN
sbVy5BzjHhTsVM2etwjPqhZUpgrade naar KadastraleKaart Pro
Bekijk op Street View
Download DWG/DXF/Excel
Cn8fddPCi2BxLto2XUUpgrade naar KadastraleKaart Pro
KgS4k tlUpgrade naar KadastraleKaart Pro
pv7CoJvwS gGfdsnUNAidUpgrade naar KadastraleKaart Pro
8xq u324XzPIJt7UWUpgrade naar KadastraleKaart Pro
OiLev5oBTUGEqimUpgrade naar KadastraleKaart Pro
OTCG3 HpMwBUpgrade naar KadastraleKaart Pro
56SPoHLlOVWINbgTVUpgrade naar KadastraleKaart Pro
YTo2QSC MIUpgrade naar KadastraleKaart Pro
kNXckTaEPDoUpgrade naar KadastraleKaart Pro
Jx OTPVq WtUpgrade naar KadastraleKaart Pro
30/05/2006

Percelen
Gebruik de zoekbalk of klik op een perceel om informatie over het perceel te bekijken.