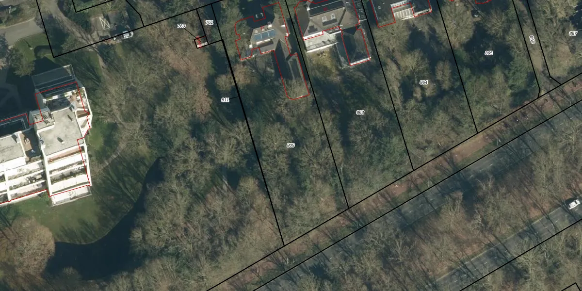
Perceel: TGR00-D-809
KadastraleKaart.com kan meer dan je denktOntdek meer ›
Filter op bestemming 50+ datasets Eigendomsdata in één klik Percelen CRM
2.126 m2 - 220 m
Eigenaar opvragen
TGR00-D-809 (Tongelre)
- 5631 DD
N36GF 8h9pkX IKkkwZNCDBsWpiIKUUpgrade naar KadastraleKaart Pro
Bekijk op Street View
Download DWG/DXF/Excel
As D97QV4YEEA8M1sHk0PPPUpgrade naar KadastraleKaart Pro
s56oas A j1a0 t dGFYsUpgrade naar KadastraleKaart Pro
6hDvO96EhUpgrade naar KadastraleKaart Pro
frn2FEJ U N5xx LjC6pHnUpgrade naar KadastraleKaart Pro
hGIHFwoTHygB kjaUpgrade naar KadastraleKaart Pro
tnR60PHNwUpgrade naar KadastraleKaart Pro
J CFNu8uUpgrade naar KadastraleKaart Pro
y4Uy7oCvsjZ89 eJam1ACe Upgrade naar KadastraleKaart Pro
sh7KPvjW55Upgrade naar KadastraleKaart Pro
s90wa PY IJjCbwUpgrade naar KadastraleKaart Pro
31/05/2006

Percelen
Gebruik de zoekbalk of klik op een perceel om informatie over het perceel te bekijken.