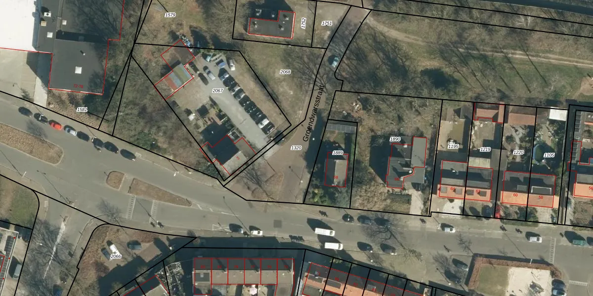
Perceel: TGR00-F-1320
Geen adressen bij dit perceel
840 m2 - 187 m
Eigenaar opvragen
TGR00-F-1320 (Tongelre)
- Geen postcode aanwezig
4rn 0 NS ZbQcGe63L6k 6t4TKZTUpgrade naar KadastraleKaart Pro
Bekijk op Street View
Download DWG/DXF/Excel
d6aZHFXJ BjV HYw7QwUpgrade naar KadastraleKaart Pro
eh7EnatNoHF3Upgrade naar KadastraleKaart Pro
Hm4 NDJaUpgrade naar KadastraleKaart Pro
dmqhnuTuEXh2Upgrade naar KadastraleKaart Pro
Ku5BfQHXH y3HUpgrade naar KadastraleKaart Pro
274GCntEInwGUvIUpgrade naar KadastraleKaart Pro
2g7XY8 86 mOE6cb9MsltUpgrade naar KadastraleKaart Pro
uDAndMp7Upgrade naar KadastraleKaart Pro
TYgwgTlbEJVl INa9D7hUpgrade naar KadastraleKaart Pro
4VhK SL3F8V62Ln98Upgrade naar KadastraleKaart Pro
25/02/2010

Percelen
Gebruik de zoekbalk of klik op een perceel om informatie over het perceel te bekijken.