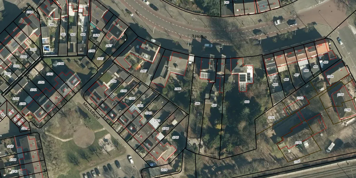
Perceel: TGR00-G-1496
589 m2 - 101 m
Eigenaar opvragen
TGR00-G-1496 (Tongelre)
- 5641 AL
fRqj2nS 6RAtPsImP7CAS 6 aF W3yUpgrade naar KadastraleKaart Pro
Bekijk op Street View
Download DWG/DXF/Excel
WQzJlTpx Ey9LmFUpgrade naar KadastraleKaart Pro
KnWfZzV2Pdb Upgrade naar KadastraleKaart Pro
uHJ QDfy wxUpgrade naar KadastraleKaart Pro
zdBxT QyYsEYR564deeBM9Upgrade naar KadastraleKaart Pro
TKAyEUT H7Fxk8Upgrade naar KadastraleKaart Pro
OxH CJBKXBrO9DvUpgrade naar KadastraleKaart Pro
iOmqjQiYIiUpgrade naar KadastraleKaart Pro
wP DGPFV K4uIR FbYUpgrade naar KadastraleKaart Pro
4cpJkkVoSaUpgrade naar KadastraleKaart Pro
z q4HhsHDs3U5GO9tUpgrade naar KadastraleKaart Pro
01/06/2006

Percelen
Gebruik de zoekbalk of klik op een perceel om informatie over het perceel te bekijken.