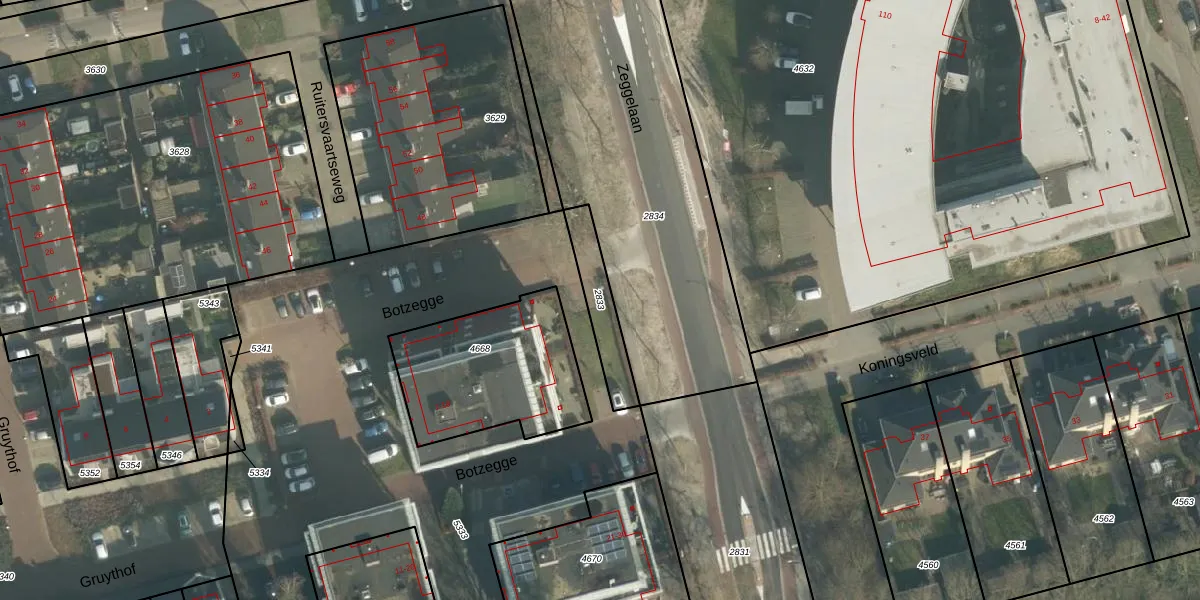
Perceel: THD00-G-2833
KadastraleKaart.com kan meer dan je denktOntdek meer ›
Filter op bestemming 50+ datasets Eigendomsdata in één klik Percelen CRM
Geen adressen bij dit perceel
150 m2 - 78 m
Eigenaar opvragen
THD00-G-2833 (Terheijden)
- Geen postcode aanwezig
FbgLmsGHvPFBiylmlFpNUpgrade naar KadastraleKaart Pro
Bekijk op Street View
Download DWG/DXF/Excel
mZtpYqRdz jLwybs6ypUpgrade naar KadastraleKaart Pro
GxFJLSwIKDEsp4QTisMkdUpgrade naar KadastraleKaart Pro
3GM58T h e0hlkllDwUpgrade naar KadastraleKaart Pro
p6XYU78ZYX1 5HA y k Upgrade naar KadastraleKaart Pro
k8FiU4xbZBeErNUpgrade naar KadastraleKaart Pro
q6IPGIV1G3ao nV 0WU6SUpgrade naar KadastraleKaart Pro
OvbJs2 4qv5iUpgrade naar KadastraleKaart Pro
RsxhafYQUpgrade naar KadastraleKaart Pro
KGCTtRLoUpgrade naar KadastraleKaart Pro
Tf3JJjtAHc00jsB7KLkmUpgrade naar KadastraleKaart Pro
24/04/2012

Percelen
Gebruik de zoekbalk of klik op een perceel om informatie over het perceel te bekijken.