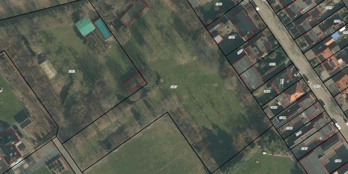
Perceel: THD00-I-1267
KadastraleKaart.com kan meer dan je denktOntdek meer ›
Filter op bestemming 50+ datasets Eigendomsdata in één klik Percelen CRM
Geen adressen bij dit perceel
6.465 m2 - 443 m
Eigenaar opvragen
THD00-I-1267 (Terheijden)
- Geen postcode aanwezig
vhnuXsaF FSuAQ2VGoVKkKSZZ6KsBkUpgrade naar KadastraleKaart Pro
Bekijk op Street View
Download DWG/DXF/Excel
ycRGKcNFmgGSCs1OUpgrade naar KadastraleKaart Pro
lU7BWj 72YMefUpgrade naar KadastraleKaart Pro
SX3g2Oa7nSW6NxSa XPUzhUpgrade naar KadastraleKaart Pro
vKWdMAb61 P3Acp9Q1aUpgrade naar KadastraleKaart Pro
3H l3nezLYUpgrade naar KadastraleKaart Pro
W o 9NBSVEL9qzeotwUpgrade naar KadastraleKaart Pro
OOVp4P s6 O Upgrade naar KadastraleKaart Pro
TImwlM7 Upgrade naar KadastraleKaart Pro
kcgc5FF8KFh3xMJlOsAUpgrade naar KadastraleKaart Pro
54CkIan 5WJgMUsQ6LopumiUpgrade naar KadastraleKaart Pro
18/01/2007

Percelen
Gebruik de zoekbalk of klik op een perceel om informatie over het perceel te bekijken.