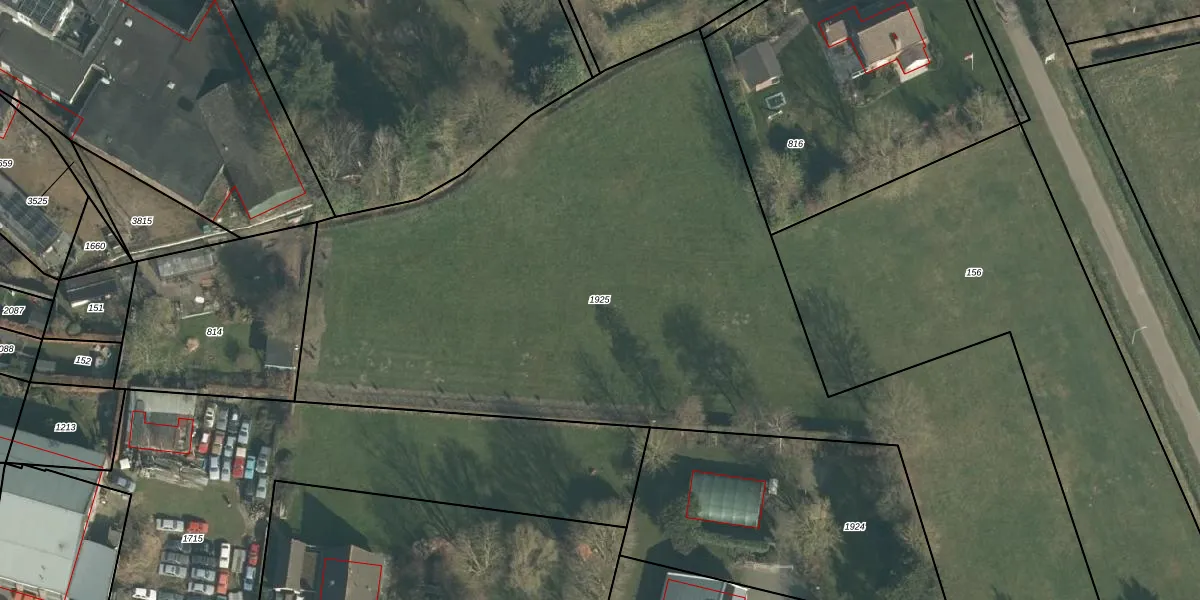
Perceel: THD00-I-1925
KadastraleKaart.com kan meer dan je denktOntdek meer ›
Filter op bestemming 50+ datasets Eigendomsdata in één klik Percelen CRM
Geen adressen bij dit perceel
5.775 m2 - 461 m
Eigenaar opvragen
THD00-I-1925 (Terheijden)
- Geen postcode aanwezig
zAA8z343ct4mect sGuTOl7Upgrade naar KadastraleKaart Pro
Bekijk op Street View
Download DWG/DXF/Excel
J VaCVgPay bFSOUg3Q8H Upgrade naar KadastraleKaart Pro
Ex 3YqpCW ddUoBUpgrade naar KadastraleKaart Pro
EvZM oQUpgrade naar KadastraleKaart Pro
kFdrdnVp hB8Pic9UXDAUpgrade naar KadastraleKaart Pro
njvS9MpRMaSBCdyItEPUpgrade naar KadastraleKaart Pro
K 7tEGic2G N2tUpgrade naar KadastraleKaart Pro
XdCBeVn7JRMhyRdp9Upgrade naar KadastraleKaart Pro
lXe0xUKKRUpgrade naar KadastraleKaart Pro
KOeR ATHUpgrade naar KadastraleKaart Pro
k0XRxNchG1iQfXHpUpgrade naar KadastraleKaart Pro
02/11/2018

Percelen
Gebruik de zoekbalk of klik op een perceel om informatie over het perceel te bekijken.