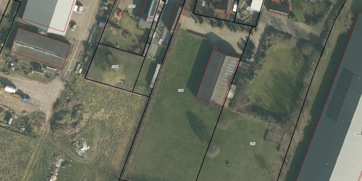
Perceel: THD00-I-344
KadastraleKaart.com kan meer dan je denktOntdek meer ›
Filter op bestemming 50+ datasets Eigendomsdata in één klik Percelen CRM
Geen adressen bij dit perceel
4.266 m2 - 342 m
Eigenaar opvragen
THD00-I-344 (Terheijden)
- Geen postcode aanwezig
UXdC3B Ui4OsvDvsd95x1S1Upgrade naar KadastraleKaart Pro
Bekijk op Street View
Download DWG/DXF/Excel
oUXk3iReWXBh 8SwkC3BGUpgrade naar KadastraleKaart Pro
gW2eWXin9Y kUpgrade naar KadastraleKaart Pro
bellv5EYBS58K5FubUpgrade naar KadastraleKaart Pro
8vdp25 mF pVRUpgrade naar KadastraleKaart Pro
Ef8Qhv1IygFUpgrade naar KadastraleKaart Pro
c kncPwCUpgrade naar KadastraleKaart Pro
1 0rxTvu49DihFM68Upgrade naar KadastraleKaart Pro
mdM6KTCvrY6Upgrade naar KadastraleKaart Pro
3x09OI7FSDFZwrf224SUpgrade naar KadastraleKaart Pro
COb5hu ZdUpgrade naar KadastraleKaart Pro
19/01/2007

Percelen
Gebruik de zoekbalk of klik op een perceel om informatie over het perceel te bekijken.