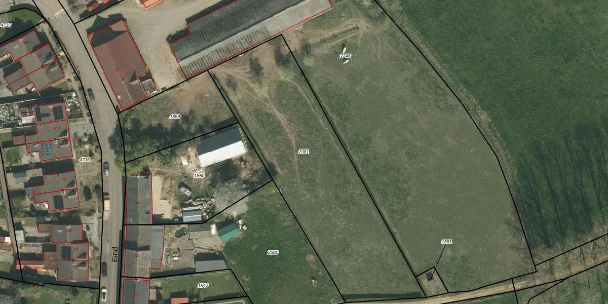
Perceel: THO00-B-2381
KadastraleKaart.com kan meer dan je denktOntdek meer ›
Filter op bestemming 50+ datasets Eigendomsdata in één klik Percelen CRM
Geen adressen bij dit perceel
2.400 m2 - 241 m
Eigenaar opvragen
THO00-B-2381 (Thorn)
- Geen postcode aanwezig
agK 9bYh5nijHqrPxQR4gUPZFdCUpgrade naar KadastraleKaart Pro
Bekijk op Street View
Download DWG/DXF/Excel
DjZHrg HbkLjwUpgrade naar KadastraleKaart Pro
VDsYb4QzA lIKZRWHVvLNUpgrade naar KadastraleKaart Pro
9aGTq4 qE7Upgrade naar KadastraleKaart Pro
LL HhqxncUpgrade naar KadastraleKaart Pro
Z14gYMeBka1Kr9TOc7We Upgrade naar KadastraleKaart Pro
UUdVEmemI3tUpgrade naar KadastraleKaart Pro
4 wXTyyaGv bqnO2TV Upgrade naar KadastraleKaart Pro
AJgYSFaaE2u1AqCVFUpgrade naar KadastraleKaart Pro
cAexJ bWheYZWVPxUpgrade naar KadastraleKaart Pro
O 0q 9rk ayuTdZUpgrade naar KadastraleKaart Pro
08/06/2011

Percelen
Gebruik de zoekbalk of klik op een perceel om informatie over het perceel te bekijken.