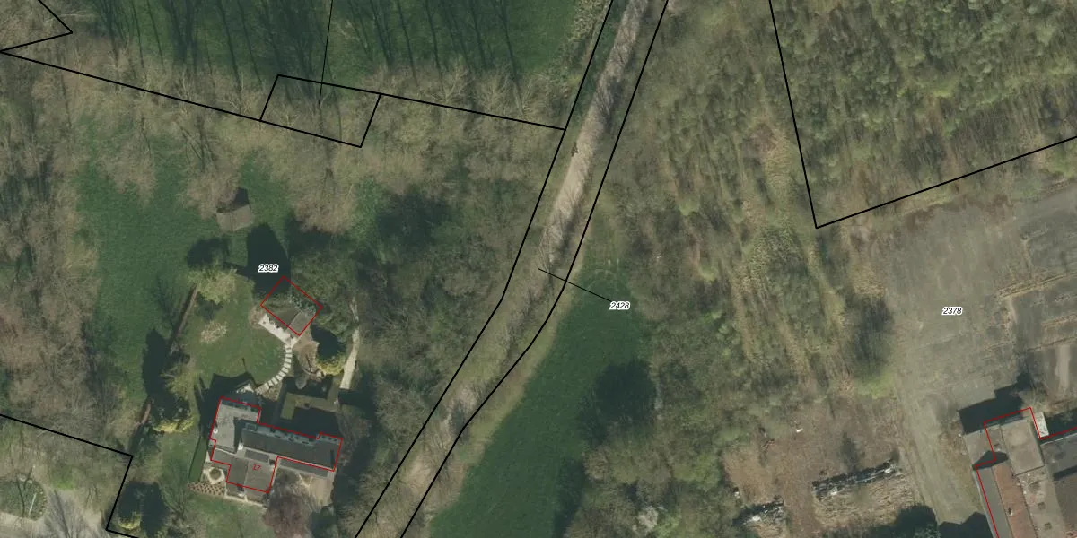
Perceel: THO00-B-2428
KadastraleKaart.com kan meer dan je denktOntdek meer ›
Filter op bestemming 50+ datasets Eigendomsdata in één klik Percelen CRM
Geen adressen bij dit perceel
1.180 m2 - 301 m
Eigenaar opvragen
THO00-B-2428 (Thorn)
- Geen postcode aanwezig
7sOluIECK7F sk5eFUpgrade naar KadastraleKaart Pro
Bekijk op Street View
Download DWG/DXF/Excel
V9GS9hGjNRjmdB3D4PWUpgrade naar KadastraleKaart Pro
t5sbYL5g Upgrade naar KadastraleKaart Pro
LzDvVdp7KZQL2Upgrade naar KadastraleKaart Pro
0tfCgWSQpiqUpgrade naar KadastraleKaart Pro
WA 3tsNkXRubUpgrade naar KadastraleKaart Pro
HmAUHukjYXHNUpgrade naar KadastraleKaart Pro
ZC6fv1Q7HLmqYlh4k2 XyUpgrade naar KadastraleKaart Pro
reJpw7Ojo u RPK0WqzT6foUpgrade naar KadastraleKaart Pro
3ZiBUddLuB Upgrade naar KadastraleKaart Pro
POcNwi Ef1kxxpb3Upgrade naar KadastraleKaart Pro
11/10/2011

Percelen
Gebruik de zoekbalk of klik op een perceel om informatie over het perceel te bekijken.