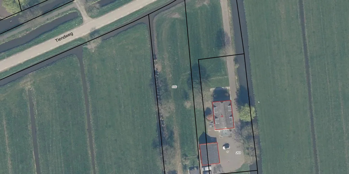
Perceel: THV00-A-656
KadastraleKaart.com kan meer dan je denktOntdek meer ›
Filter op bestemming 50+ datasets Eigendomsdata in één klik Percelen CRM
Geen adressen bij dit perceel
2.165 m2 - 252 m
Eigenaar opvragen
THV00-A-656 (Tienhoven)
- Geen postcode aanwezig
rfWRNY WQikU2elAp0cUL03FBa0u PUpgrade naar KadastraleKaart Pro
Bekijk op Street View
Download DWG/DXF/Excel
K1SixCIV7C1m9E 9Pl Upgrade naar KadastraleKaart Pro
5QJ cGx IOn4mXdUpgrade naar KadastraleKaart Pro
F3 NYLOI7x7P4AUAghBii mUpgrade naar KadastraleKaart Pro
F SahkSQg 45Upgrade naar KadastraleKaart Pro
e9mGEXf0Olb5JMadUpgrade naar KadastraleKaart Pro
w6kznuNlyUSjUpgrade naar KadastraleKaart Pro
hP8c2YTPxrH2W Va8koUpgrade naar KadastraleKaart Pro
7 ix 7eHteQ XDxUpgrade naar KadastraleKaart Pro
0pwREWTuw4IAwGQbUpgrade naar KadastraleKaart Pro
TN K 7NjwUpgrade naar KadastraleKaart Pro
25/10/2006

Percelen
Gebruik de zoekbalk of klik op een perceel om informatie over het perceel te bekijken.