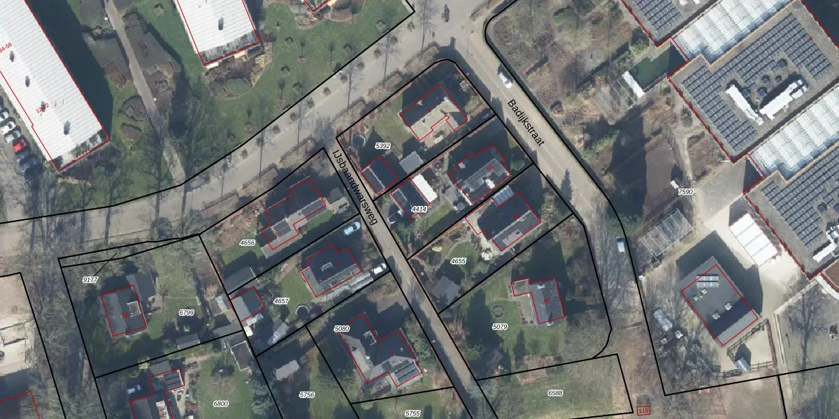
Perceel: TLO00-B-4414
KadastraleKaart.com kan meer dan je denktOntdek meer ›
Filter op bestemming 50+ datasets Eigendomsdata in één klik Percelen CRM
560 m2 - 105 m
Eigenaar opvragen
TLO00-B-4414 (Twello)
- 7391 HE
AIn pS BYNs I Yv ng bPUpgrade naar KadastraleKaart Pro
Verkoopprijs opvragen
Bekijk op Street View
Download DWG/DXF/Excel
LJPnGFTenEqbn 2Upgrade naar KadastraleKaart Pro
gdg5HvAC eiUpgrade naar KadastraleKaart Pro
hQWvL 5p8vpMUpgrade naar KadastraleKaart Pro
nvNVwBjTK5k65mMA1tnxf3VUpgrade naar KadastraleKaart Pro
lb3rvN1WUX dC3Hl2JfvUpgrade naar KadastraleKaart Pro
0Dz Z8WUpgrade naar KadastraleKaart Pro
B0yOs vbNZcGjxtUpgrade naar KadastraleKaart Pro
6aO0oq V eeIh jPUUpgrade naar KadastraleKaart Pro
fjrEba5PUpgrade naar KadastraleKaart Pro
6E COpgTUpgrade naar KadastraleKaart Pro
05/03/2009

Percelen
Gebruik de zoekbalk of klik op een perceel om informatie over het perceel te bekijken.