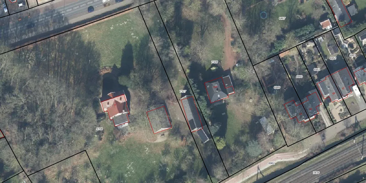
Perceel: TLO00-B-7327
Geen adressen bij dit perceel
990 m2 - 230 m
Eigenaar opvragen
TLO00-B-7327 (Twello)
- Geen postcode aanwezig
d 1QZqNjEZGG1cvhiXlo5g11m3ypUpgrade naar KadastraleKaart Pro
Bekijk op Street View
Download DWG/DXF/Excel
FXnO 0hgbSG9m5Z 1awsz Upgrade naar KadastraleKaart Pro
mVF5AI VlWiv4WWZKXUpgrade naar KadastraleKaart Pro
8SKUkmTlPn6Qpr3HqhOCUpgrade naar KadastraleKaart Pro
JpnI5g2vVNUagkqLARfUpgrade naar KadastraleKaart Pro
07lRwbZn0MVAWUpgrade naar KadastraleKaart Pro
yTaPJl8pKcwH2wudUpgrade naar KadastraleKaart Pro
QxwdYsDgc1Upgrade naar KadastraleKaart Pro
3J7bdcDyO06vr6kJlW T9Upgrade naar KadastraleKaart Pro
jpxNSuLbfAUmTSf0s02CXGUpgrade naar KadastraleKaart Pro
v5RLxG ZRIaUpgrade naar KadastraleKaart Pro
07/06/2006

Percelen
Gebruik de zoekbalk of klik op een perceel om informatie over het perceel te bekijken.