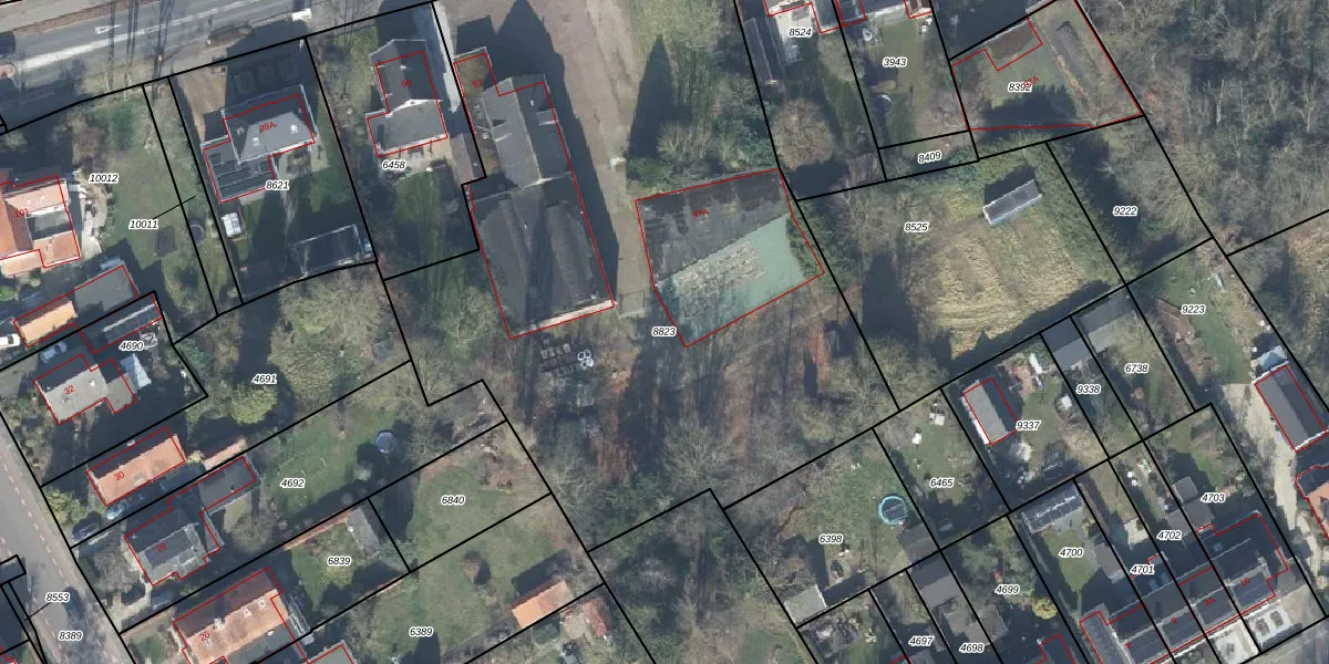
Perceel: TLO00-B-8823
KadastraleKaart.com kan meer dan je denktOntdek meer ›
Filter op bestemming 50+ datasets Eigendomsdata in één klik Percelen CRM
4.305 m2 - 295 m
Eigenaar opvragen
TLO00-B-8823 (Twello)
- 7391 MJ
fINdM8hzs2M2f7 6w HsqaI odUpgrade naar KadastraleKaart Pro
Bekijk op Street View
Download DWG/DXF/Excel
rnPy3GuLB TpLmUpgrade naar KadastraleKaart Pro
D9bW8dETUpgrade naar KadastraleKaart Pro
xij3i9gU ozFisfUpgrade naar KadastraleKaart Pro
hmqRaNg6lUpgrade naar KadastraleKaart Pro
K7 x B ufUha9WUpgrade naar KadastraleKaart Pro
Q7aqWWluWUpgrade naar KadastraleKaart Pro
7rjx99 wtZUpgrade naar KadastraleKaart Pro
pzSHeh SF65cNYzIbywvjsEUpgrade naar KadastraleKaart Pro
e0iiJ8wymaHkspuU g S7EiUpgrade naar KadastraleKaart Pro
9tyKcKvqsSHiZKUpgrade naar KadastraleKaart Pro
17/11/2009

Percelen
Gebruik de zoekbalk of klik op een perceel om informatie over het perceel te bekijken.