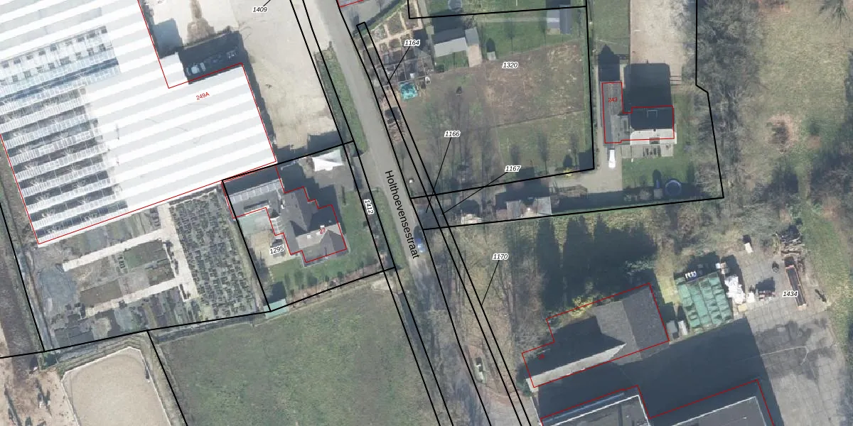
Perceel: TLO00-C-1166
KadastraleKaart.com kan meer dan je denktOntdek meer ›
Filter op bestemming 50+ datasets Eigendomsdata in één klik Percelen CRM
Geen adressen bij dit perceel
30 m2 - 24 m
Eigenaar opvragen
TLO00-C-1166 (Twello)
- Geen postcode aanwezig
y5fQMVu2kKicM8Bmc5 mHD9yNtblwOQUpgrade naar KadastraleKaart Pro
Bekijk op Street View
Download DWG/DXF/Excel
2 1Ox2d20 zRdUpgrade naar KadastraleKaart Pro
vjnN3D9FGwzRWZ8 DP0Upgrade naar KadastraleKaart Pro
js7 c5zUPII0nUpgrade naar KadastraleKaart Pro
I5JCudQcpZg37Upgrade naar KadastraleKaart Pro
V6RgKOZDndFJUpgrade naar KadastraleKaart Pro
LV BCq0NW3PrEgMyfUpgrade naar KadastraleKaart Pro
SqBfkUx5 IZ 39qSOj YUpgrade naar KadastraleKaart Pro
xzXfScFJyUpgrade naar KadastraleKaart Pro
vLBY8 LAUZOUpgrade naar KadastraleKaart Pro
n4 hclxhEfcEg0X CDFt jUpgrade naar KadastraleKaart Pro
28/11/2025

Percelen
Gebruik de zoekbalk of klik op een perceel om informatie over het perceel te bekijken.