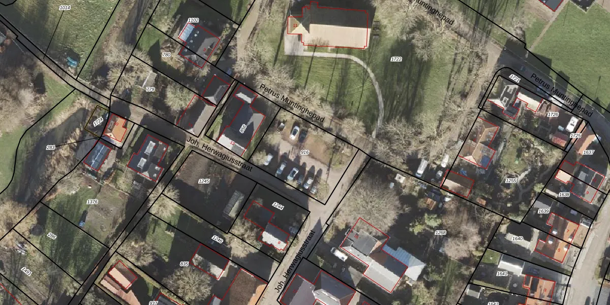
Perceel: TMT00-C-916
KadastraleKaart.com kan meer dan je denktOntdek meer ›
Filter op bestemming 50+ datasets Eigendomsdata in één klik Percelen CRM
Geen adressen bij dit perceel
620 m2 - 100 m
Eigenaar opvragen
TMT00-C-916 (Termunten)
- Geen postcode aanwezig
OZL1NKL8zHwE 2n 47YNMaGUpgrade naar KadastraleKaart Pro
Bekijk op Street View
Download DWG/DXF/Excel
D4Uj6RwYRVPu5J Upgrade naar KadastraleKaart Pro
DYa9RMX2MoUpgrade naar KadastraleKaart Pro
H4Aj LYb4tBiKSNnzaadUpgrade naar KadastraleKaart Pro
zfmHOn ErvTZLArLUpgrade naar KadastraleKaart Pro
pGE0hMOkIXt 5Q8AHUpgrade naar KadastraleKaart Pro
ONBBAo8froBmnVXnxbUpgrade naar KadastraleKaart Pro
SklRa3SQgvq mUpgrade naar KadastraleKaart Pro
0dRpZNtLkTx30EK6Upgrade naar KadastraleKaart Pro
9FK 7BHiHVpDJFApYUpgrade naar KadastraleKaart Pro
hojGVyjtMW6ZNiDzC1vFqVUpgrade naar KadastraleKaart Pro
09/11/2004

Percelen
Gebruik de zoekbalk of klik op een perceel om informatie over het perceel te bekijken.