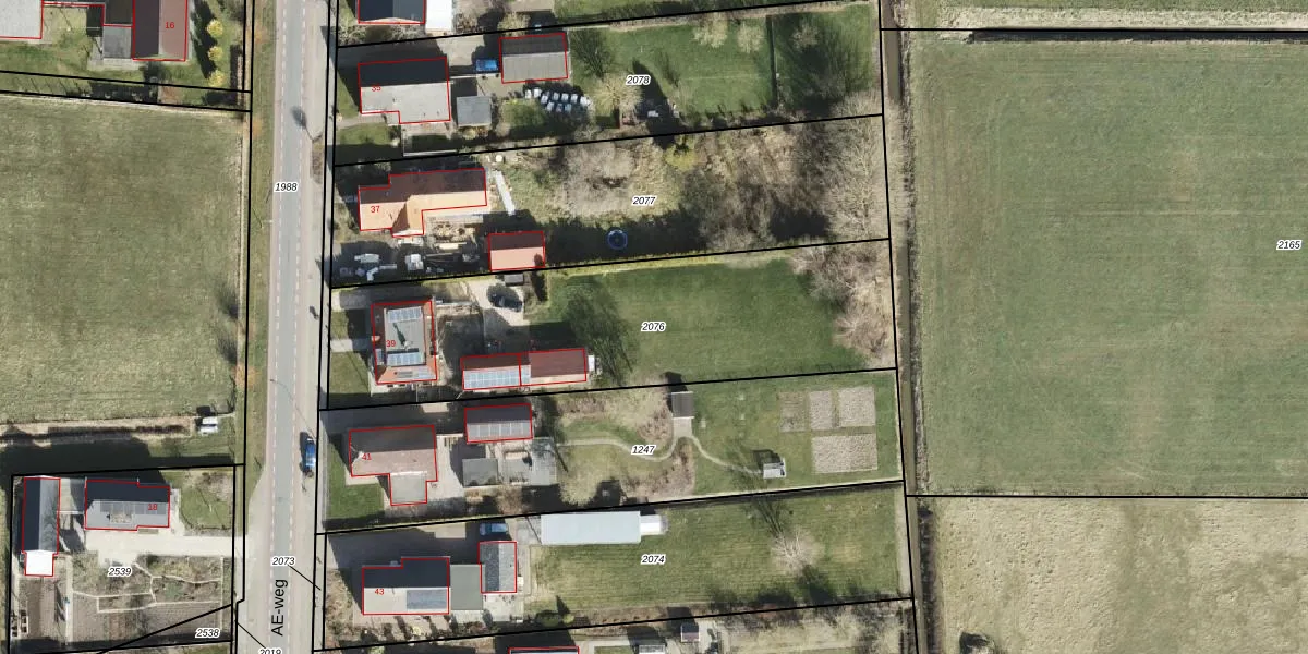
Perceel: TMT00-E-2076
KadastraleKaart.com kan meer dan je denktOntdek meer ›
Filter op bestemming 50+ datasets Eigendomsdata in één klik Percelen CRM
1.652 m2 - 212 m
Eigenaar opvragen
TMT00-E-2076 (Termunten)
- 9946 RJ
gMU5 Q24UrcEbggHFeQUpgrade naar KadastraleKaart Pro
Verkoopprijs opvragen
Bekijk op Street View
Download DWG/DXF/Excel
VLdD X8KHUpgrade naar KadastraleKaart Pro
LRIMXLE35t3Upgrade naar KadastraleKaart Pro
aYhJUURa N7 3Upgrade naar KadastraleKaart Pro
2l KV qdnzLRk iEyUpgrade naar KadastraleKaart Pro
7tysABS6Upgrade naar KadastraleKaart Pro
Sy9K7FOYWuyPzmPZpEUpgrade naar KadastraleKaart Pro
czztG ZW5T3XJs1NqAtUpgrade naar KadastraleKaart Pro
3IO62sLr4tcGSSZn2Upgrade naar KadastraleKaart Pro
sOj SN HKXUpgrade naar KadastraleKaart Pro
N1 vxWo7Gi2GItTFUpgrade naar KadastraleKaart Pro
09/04/2010

Percelen
Gebruik de zoekbalk of klik op een perceel om informatie over het perceel te bekijken.