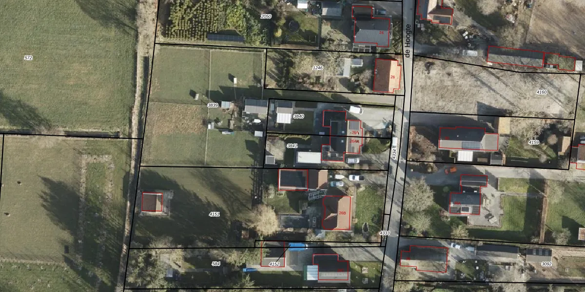
Perceel: TMT00-G-3841
KadastraleKaart.com kan meer dan je denktOntdek meer ›
Filter op bestemming 50+ datasets Eigendomsdata in één klik Percelen CRM
495 m2 - 109 m
Eigenaar opvragen
TMT00-G-3841 (Termunten)
- 9945 RX
ZOnZB OAO9QCsOIpr8VB4Upgrade naar KadastraleKaart Pro
Bekijk op Street View
Download DWG/DXF/Excel
RFmLEC XKlvz0A0YvbUpgrade naar KadastraleKaart Pro
R gKZM3FSSKCJbkcmIUpgrade naar KadastraleKaart Pro
lYr kjlekfyTBDxAfwy4AmUpgrade naar KadastraleKaart Pro
8BsAUAjLlbuMjUpgrade naar KadastraleKaart Pro
um66 a9ouO HEjPUpgrade naar KadastraleKaart Pro
ve tNjl W Upgrade naar KadastraleKaart Pro
fb17V0bJZEuoLePsvnoSDUpgrade naar KadastraleKaart Pro
J2FP2 usX0KhwOEFJaD1Upgrade naar KadastraleKaart Pro
ScKvwoxuiUpgrade naar KadastraleKaart Pro
3wjn6xF5Upgrade naar KadastraleKaart Pro
01/03/2010

Percelen
Gebruik de zoekbalk of klik op een perceel om informatie over het perceel te bekijken.