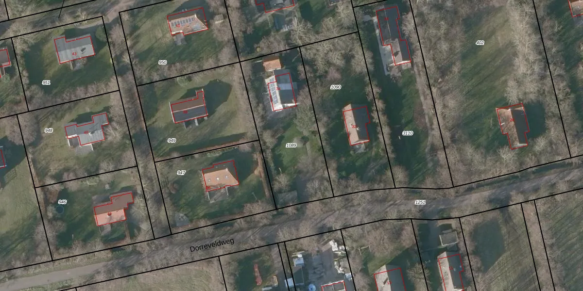
Perceel: TSL00-H-1089
KadastraleKaart.com kan meer dan je denktOntdek meer ›
Filter op bestemming 50+ datasets Eigendomsdata in één klik Percelen CRM
1.140 m2 - 146 m
Eigenaar opvragen
TSL00-H-1089 (Terschelling)
- 8891 HN
PU096 Jw8fvyW1SI M7 oNJUNIBS2fUpgrade naar KadastraleKaart Pro
Bekijk op Street View
Download DWG/DXF/Excel
pGYnktA CUpgrade naar KadastraleKaart Pro
BC3 ZWVyiSlUpgrade naar KadastraleKaart Pro
2kZ58gZKFsNawPLkuX 5UgUpgrade naar KadastraleKaart Pro
hCxcoSPf17Upgrade naar KadastraleKaart Pro
0 LkTbjflWkUpgrade naar KadastraleKaart Pro
gJyL22ymUpgrade naar KadastraleKaart Pro
T GO31VFcR8N6hUpgrade naar KadastraleKaart Pro
XxCJM Fi rGovFpf0srUcdUpgrade naar KadastraleKaart Pro
SqWc1UvZb K 1rzUpgrade naar KadastraleKaart Pro
VIiA9 9dHEKkHNnVmUCzNr1Upgrade naar KadastraleKaart Pro
10/01/2011

Percelen
Gebruik de zoekbalk of klik op een perceel om informatie over het perceel te bekijken.