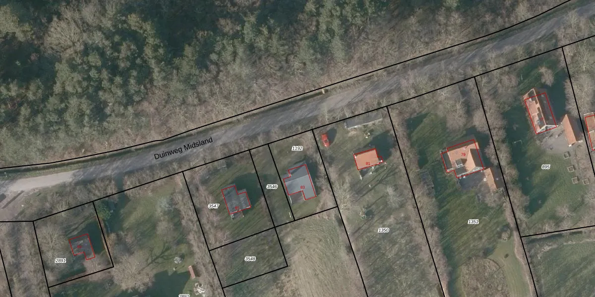
Perceel: TSL00-H-1192
KadastraleKaart.com kan meer dan je denktOntdek meer ›
Filter op bestemming 50+ datasets Eigendomsdata in één klik Percelen CRM
413 m2 - 85 m
Eigenaar opvragen
TSL00-H-1192 (Terschelling)
- 8891 HR
s uHJ8VRMcVEQ y PYS7igRHFa4fuUpgrade naar KadastraleKaart Pro
Bekijk op Street View
Download DWG/DXF/Excel
6I4EeZdOlUpgrade naar KadastraleKaart Pro
i gl0ifKETmudCm4D S2vTUpgrade naar KadastraleKaart Pro
G2Xi4a7 m3Upgrade naar KadastraleKaart Pro
7aaM Mv AySWs4ufLT6nUpgrade naar KadastraleKaart Pro
1wKIN1Dd5xUf 53qx 3OkHnUpgrade naar KadastraleKaart Pro
PVGG7uRA86B 96qEgAvUpgrade naar KadastraleKaart Pro
4IXk4UUeUItUpgrade naar KadastraleKaart Pro
fxk63ptpAmlUpgrade naar KadastraleKaart Pro
xox6CZN36fOQ7A8cUpgrade naar KadastraleKaart Pro
g5QbihK ZNK4hVd3amWbUpgrade naar KadastraleKaart Pro
10/01/2011

Percelen
Gebruik de zoekbalk of klik op een perceel om informatie over het perceel te bekijken.