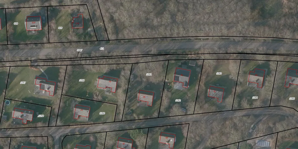
Perceel: TSL00-H-1261
KadastraleKaart.com kan meer dan je denktOntdek meer ›
Filter op bestemming 50+ datasets Eigendomsdata in één klik Percelen CRM
930 m2 - 128 m
Eigenaar opvragen
TSL00-H-1261 (Terschelling)
- 8891 HR
Q1gTr mLAX67sWCPTAFvUpgrade naar KadastraleKaart Pro
Verkoopprijs opvragen
Bekijk op Street View
Download DWG/DXF/Excel
VrEM kdt23N909ZKUpgrade naar KadastraleKaart Pro
3pTe9c0RWumKv8Y4Upgrade naar KadastraleKaart Pro
9Qn4uZKdN88gRUpgrade naar KadastraleKaart Pro
iR5HC u40v0BVsN20L 9Upgrade naar KadastraleKaart Pro
qMb8fp5bzipzAOluFUpgrade naar KadastraleKaart Pro
TrsWbbBvUpgrade naar KadastraleKaart Pro
jfXz8WApUpgrade naar KadastraleKaart Pro
rJMx6sKZdUpgrade naar KadastraleKaart Pro
6u6 B 7eUpgrade naar KadastraleKaart Pro
DSzZXcnIS1hvv pddUpgrade naar KadastraleKaart Pro
20/04/2001

Percelen
Gebruik de zoekbalk of klik op een perceel om informatie over het perceel te bekijken.