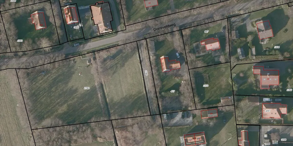
Perceel: TSL00-H-2780
KadastraleKaart.com kan meer dan je denktOntdek meer ›
Filter op bestemming 50+ datasets Eigendomsdata in één klik Percelen CRM
Geen adressen bij dit perceel
340 m2 - 117 m
Eigenaar opvragen
TSL00-H-2780 (Terschelling)
- Geen postcode aanwezig
Ws1n zdPOVBByUzZgUpgrade naar KadastraleKaart Pro
Bekijk op Street View
Download DWG/DXF/Excel
cv 1JPeV9EFmuUpgrade naar KadastraleKaart Pro
5BkwTUTwv9Upgrade naar KadastraleKaart Pro
KvWaC9yHFNsUpgrade naar KadastraleKaart Pro
2CLbgPdgGiapkpCMK5 iUpgrade naar KadastraleKaart Pro
QscycE0tAEtthArUpgrade naar KadastraleKaart Pro
y XE eqnYNP8Upgrade naar KadastraleKaart Pro
SAH0IBdPh8PjyD7 UbxL3 1Upgrade naar KadastraleKaart Pro
jzWvoDzYXTlzW bHUpgrade naar KadastraleKaart Pro
0oc 8vqRS2qG8SsSBNOwUpgrade naar KadastraleKaart Pro
2fjixyZ4gJrhmntT87NJRUpgrade naar KadastraleKaart Pro
10/01/2011

Percelen
Gebruik de zoekbalk of klik op een perceel om informatie over het perceel te bekijken.