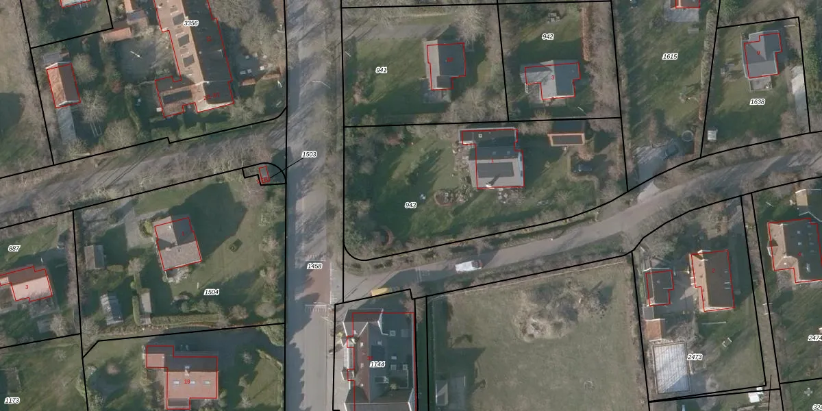
Perceel: TSL00-H-943
KadastraleKaart.com kan meer dan je denktOntdek meer ›
Filter op bestemming 50+ datasets Eigendomsdata in één klik Percelen CRM
1.860 m2 - 187 m
Eigenaar opvragen
TSL00-H-943 (Terschelling)
- 8891 HP
iqfAoB0v lfAa7OO2M1Upgrade naar KadastraleKaart Pro
Verkoopprijs opvragen
Bekijk op Street View
Download DWG/DXF/Excel
mG60pifkI4rLNkgHQ JSUpgrade naar KadastraleKaart Pro
H858R8mjIRHyJOUpgrade naar KadastraleKaart Pro
J0T3gTCISglUpgrade naar KadastraleKaart Pro
TIBJLlAtaXjUpgrade naar KadastraleKaart Pro
KivvpptvA6KDIuRyshtJiNEUpgrade naar KadastraleKaart Pro
YPnSdcEmiUpgrade naar KadastraleKaart Pro
dMqDJQzzX8tjGqqyW o Upgrade naar KadastraleKaart Pro
RSIw4xYbRzDPDB c2JWUpgrade naar KadastraleKaart Pro
baVmHIY iuUpgrade naar KadastraleKaart Pro
nYY TRTJK8GGVl9co3qne59Upgrade naar KadastraleKaart Pro
26/09/2007

Percelen
Gebruik de zoekbalk of klik op een perceel om informatie over het perceel te bekijken.