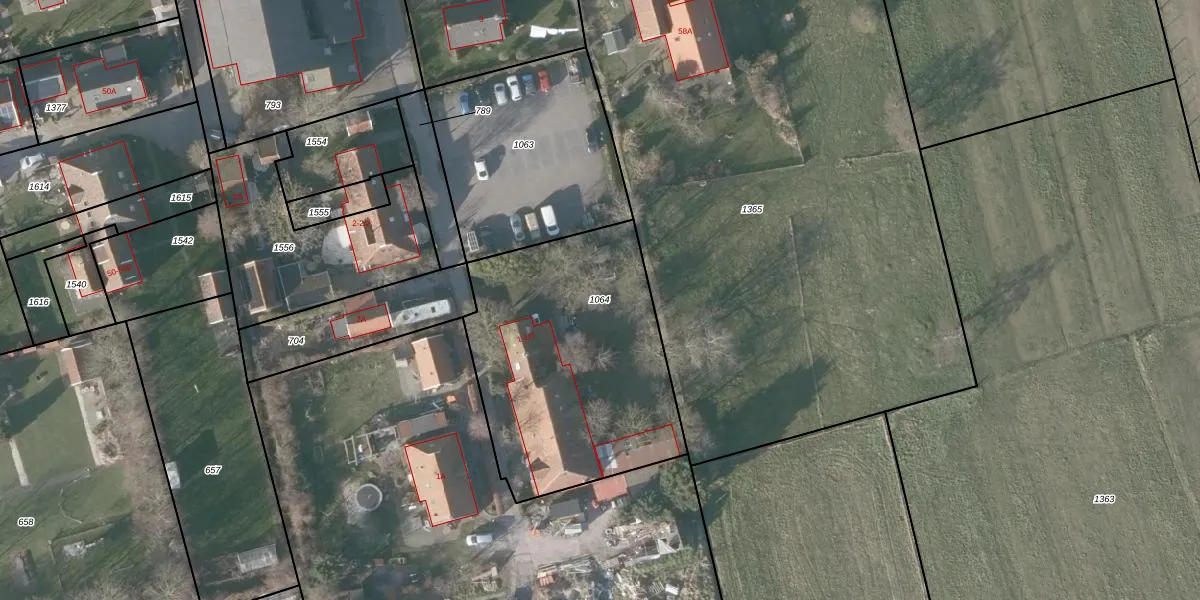
Perceel: TSL00-K-1064
KadastraleKaart.com kan meer dan je denktOntdek meer ›
Filter op bestemming 50+ datasets Eigendomsdata in één klik Percelen CRM
1.281 m2 - 143 m
Eigenaar opvragen
TSL00-K-1064 (Terschelling)
- 8896 JJ
jZ0tJrdN RfEiNYes BtDMyg19Upgrade naar KadastraleKaart Pro
Bekijk op Street View
Download DWG/DXF/Excel
2dsH gfEMUpgrade naar KadastraleKaart Pro
aBAL1mMmuyc1F1hoiI TgUpgrade naar KadastraleKaart Pro
jKwE wd61Gp9YUpgrade naar KadastraleKaart Pro
z1WgvRTsUpgrade naar KadastraleKaart Pro
CFtxqA4tryL7XUpgrade naar KadastraleKaart Pro
rl JuEwbo pUpgrade naar KadastraleKaart Pro
l7efMwA3e 6oHONCf 9uUpgrade naar KadastraleKaart Pro
cCQ z8gsdF5Upgrade naar KadastraleKaart Pro
DzW TIxisAGGN9 0csaUpgrade naar KadastraleKaart Pro
ts IJIZq1LCf aOt3uaUpgrade naar KadastraleKaart Pro
29/03/2010

Percelen
Gebruik de zoekbalk of klik op een perceel om informatie over het perceel te bekijken.