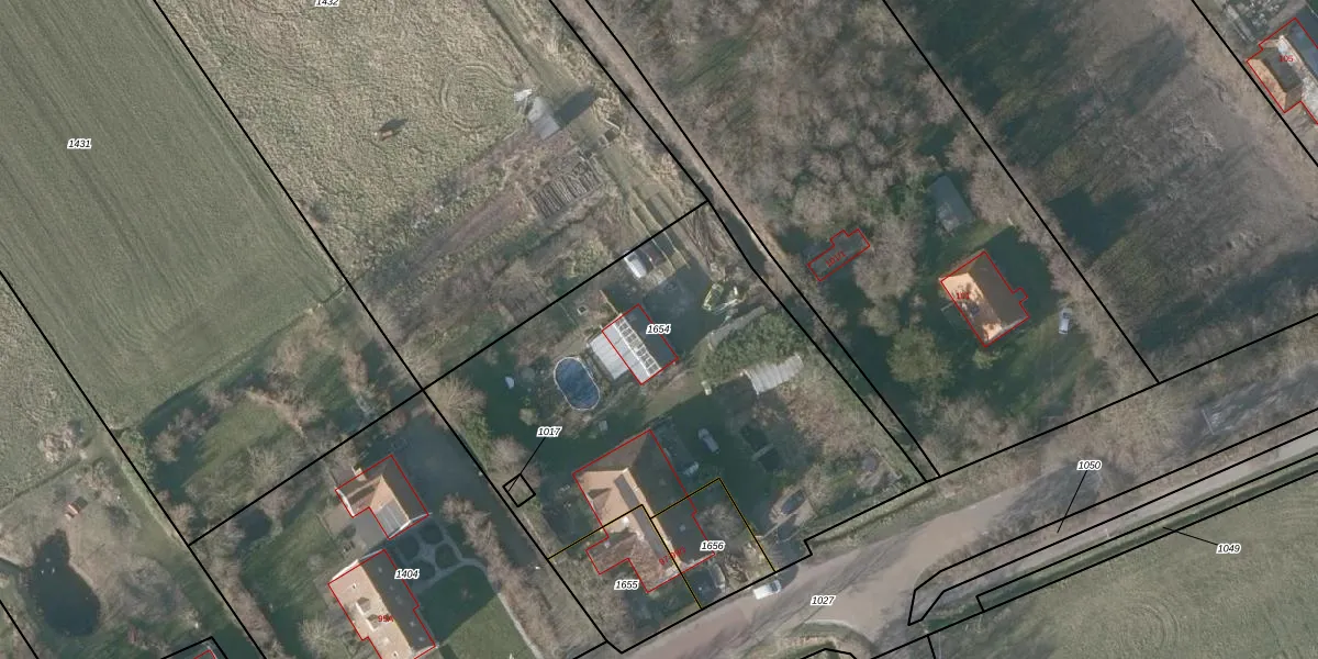
Perceel: TSL00-K-1654
KadastraleKaart.com kan meer dan je denktOntdek meer ›
Filter op bestemming 50+ datasets Eigendomsdata in één klik Percelen CRM
2.238 m2 - 229 m
Eigenaar opvragen
TSL00-K-1654 (Terschelling)
- 8896 JD
beMugPQYNp0T5l9z PW98fEph J UBUpgrade naar KadastraleKaart Pro
Bekijk op Street View
Download DWG/DXF/Excel
RqDMSPtZVTy YisF13fvOKUpgrade naar KadastraleKaart Pro
xBeFxM2BK6wu OyPBzTVUpgrade naar KadastraleKaart Pro
NwFv AGCu7WNud4Upgrade naar KadastraleKaart Pro
uApGVw98U50 2 AjHF53c4QUpgrade naar KadastraleKaart Pro
coi ye0Np4lUpgrade naar KadastraleKaart Pro
tFFrguR3cpUpgrade naar KadastraleKaart Pro
1J6lDfFMlUpgrade naar KadastraleKaart Pro
SY7GCUVo12pUpgrade naar KadastraleKaart Pro
5v 9 2i p8vLjLdgP1y6SUpgrade naar KadastraleKaart Pro
tdB Um gUpgrade naar KadastraleKaart Pro
04/11/2025

Percelen
Gebruik de zoekbalk of klik op een perceel om informatie over het perceel te bekijken.