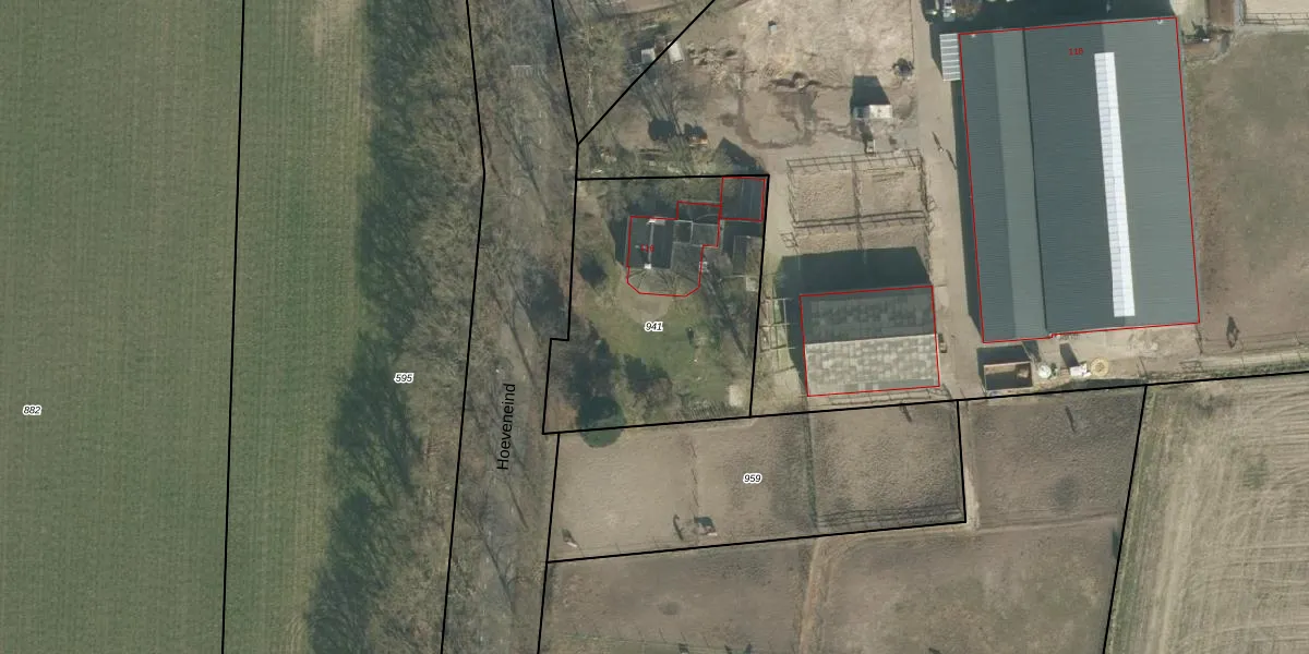
Perceel: TTR00-A-941
1.110 m2 - 140 m
Eigenaar opvragen
TTR00-A-941 (Teteringen)
- 4847 NH
JSPdkfMcBNx dq4d38vo PzCPB zkbUpgrade naar KadastraleKaart Pro
Verkoopprijs opvragen
Bekijk op Street View
Download DWG/DXF/Excel
EYK EtF1QUpgrade naar KadastraleKaart Pro
B909mKOmIUpgrade naar KadastraleKaart Pro
wF2pP3XaqdnnUpgrade naar KadastraleKaart Pro
Md0SWqE7e8PqC4Upgrade naar KadastraleKaart Pro
dnrgbuEsnUpgrade naar KadastraleKaart Pro
a9H7Bzx1 XFDPW nDAt0MBUpgrade naar KadastraleKaart Pro
muABgXgAgvzlMlP2MUpgrade naar KadastraleKaart Pro
fYHiq vRk8Upgrade naar KadastraleKaart Pro
iFyvMXDA6Nl1VsAo3DUpgrade naar KadastraleKaart Pro
UUmqb5mhCMQZnD89XyUpgrade naar KadastraleKaart Pro
28/09/2023

Percelen
Gebruik de zoekbalk of klik op een perceel om informatie over het perceel te bekijken.