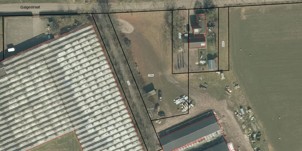
Perceel: TTR00-B-2946
KadastraleKaart.com kan meer dan je denktOntdek meer ›
Filter op bestemming 50+ datasets Eigendomsdata in één klik Percelen CRM
Geen adressen bij dit perceel
2.445 m2 - 225 m
Eigenaar opvragen
TTR00-B-2946 (Teteringen)
- Geen postcode aanwezig
gOAGZgB22zNDkpyhD SEM I81UUpgrade naar KadastraleKaart Pro
Bekijk op Street View
Download DWG/DXF/Excel
0LgmH1nh45rSSRgiqDPUpgrade naar KadastraleKaart Pro
YJ nxBd g1hhzgeUpgrade naar KadastraleKaart Pro
odnPqpZh5I eKUpgrade naar KadastraleKaart Pro
T MgSwB4ZGxdI5Upgrade naar KadastraleKaart Pro
nLCWq8G7A9O7SUpgrade naar KadastraleKaart Pro
FhuDz821SjtGUpgrade naar KadastraleKaart Pro
zj25GPkdnabH7Upgrade naar KadastraleKaart Pro
GxL6KOcOCUpgrade naar KadastraleKaart Pro
oYJ orrK6J34xz7I SUpgrade naar KadastraleKaart Pro
fWI0Xxzplbadx PCUpgrade naar KadastraleKaart Pro
23/10/2006

Percelen
Gebruik de zoekbalk of klik op een perceel om informatie over het perceel te bekijken.