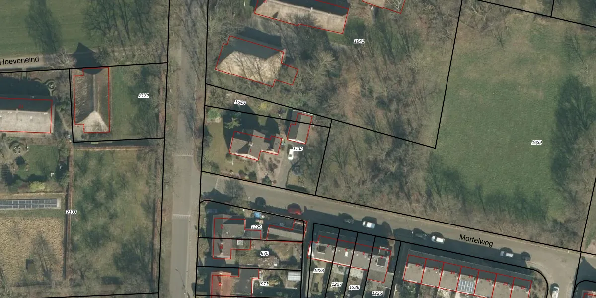
Perceel: TTR00-C-1133
880 m2 - 127 m
Eigenaar opvragen
TTR00-C-1133 (Teteringen)
- 4847 BA
cHW QNorhoymmBy3vmTeS074UZZ8Upgrade naar KadastraleKaart Pro
Verkoopprijs opvragen
Bekijk op Street View
Download DWG/DXF/Excel
OWkBwuq2 zUpgrade naar KadastraleKaart Pro
p r1LDoMH8DR6 fUpgrade naar KadastraleKaart Pro
iFXh2n aH G9hhEOf VKuHUpgrade naar KadastraleKaart Pro
iSVin261nqcZwHQL4FKTJlUpgrade naar KadastraleKaart Pro
Sbu9V9JZUpgrade naar KadastraleKaart Pro
od5q4oYzJfxBVs ManUpgrade naar KadastraleKaart Pro
KlPuq1KegDawUpgrade naar KadastraleKaart Pro
uJ3j1 pCUpgrade naar KadastraleKaart Pro
xCTGXB8wY kUpgrade naar KadastraleKaart Pro
2HwWhNmpJ0R AIUpgrade naar KadastraleKaart Pro
23/10/2006

Percelen
Gebruik de zoekbalk of klik op een perceel om informatie over het perceel te bekijken.