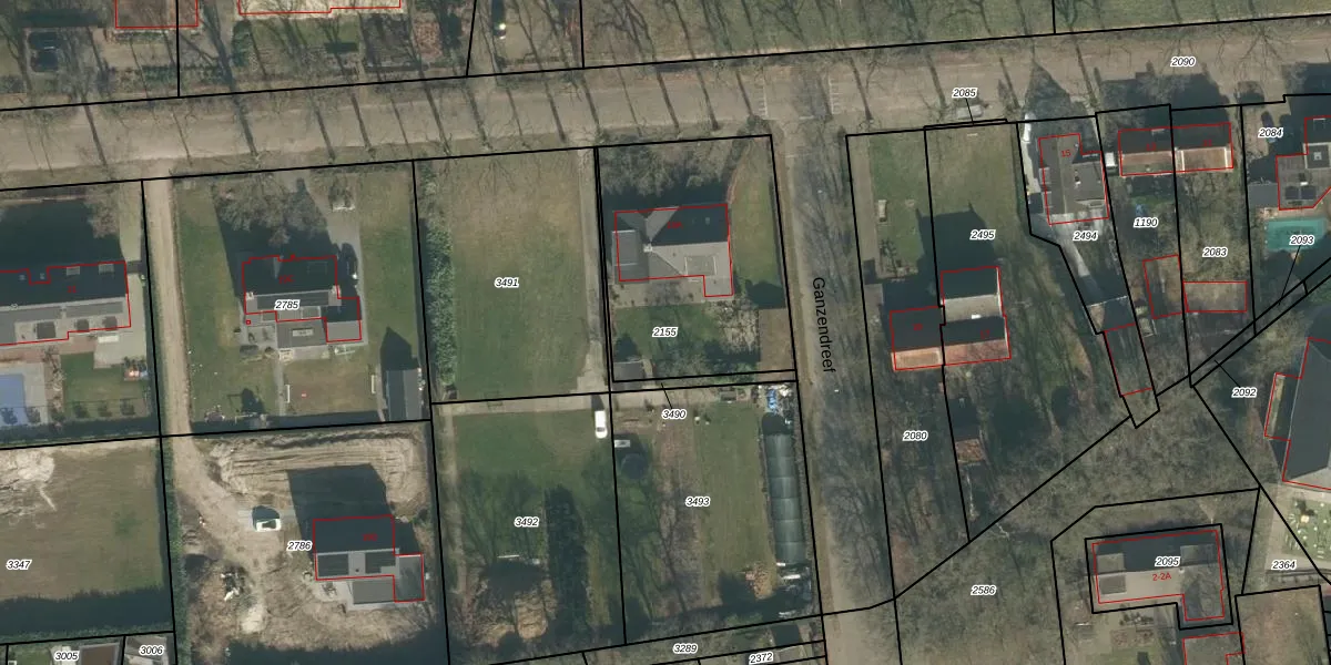
Perceel: TTR00-C-2155
KadastraleKaart.com kan meer dan je denktOntdek meer ›
Filter op bestemming 50+ datasets Eigendomsdata in één klik Percelen CRM
939 m2 - 125 m
Eigenaar opvragen
TTR00-C-2155 (Teteringen)
- 4847 AE
kfzaF8lUOX5i4a7nsWKnYrxUpgrade naar KadastraleKaart Pro
Bekijk op Street View
Download DWG/DXF/Excel
ek30hT4QtuZlAJqM7UNJUpgrade naar KadastraleKaart Pro
YS2Q9FRSEuUpgrade naar KadastraleKaart Pro
4mDoTo1WVirUpgrade naar KadastraleKaart Pro
hUSOmM4USUpgrade naar KadastraleKaart Pro
sh lUT VN3fc0Vt4r05CUpgrade naar KadastraleKaart Pro
naYav g3GUpgrade naar KadastraleKaart Pro
SREFkiIYLDwZgUpgrade naar KadastraleKaart Pro
maCREu86Upgrade naar KadastraleKaart Pro
PPVCmKqY2Upgrade naar KadastraleKaart Pro
J8nSNo58T nDp2SlUTcwVfUpgrade naar KadastraleKaart Pro
27/10/2011

Percelen
Gebruik de zoekbalk of klik op een perceel om informatie over het perceel te bekijken.