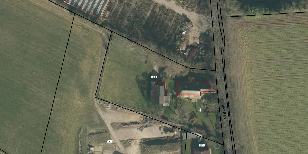
Perceel: TTR00-F-1026
3.305 m2 - 255 m
Eigenaar opvragen
TTR00-F-1026 (Teteringen)
- 4847 NC
kMYcM1aSdhkM3iiVan SN9Erp2eUpgrade naar KadastraleKaart Pro
Verkoopprijs opvragen
Bekijk op Street View
Download DWG/DXF/Excel
5Zm N6IGSQHvnTFUpgrade naar KadastraleKaart Pro
ds29 qJqIvS F4wUpgrade naar KadastraleKaart Pro
xaNp7CtC f4mClA4DA sA Upgrade naar KadastraleKaart Pro
y1wWcoZ 4N0Oh4sx1fYLUpgrade naar KadastraleKaart Pro
ELvUXd 7zE6 jeCejj1Upgrade naar KadastraleKaart Pro
F7uRbVznUpgrade naar KadastraleKaart Pro
ZirmV57UH4QaiA1cwUpgrade naar KadastraleKaart Pro
3reLgUH0m1lxUpgrade naar KadastraleKaart Pro
Tej 8DXwDel4bLUpgrade naar KadastraleKaart Pro
lxBz3tAzbdofUpgrade naar KadastraleKaart Pro
11/11/2013

Percelen
Gebruik de zoekbalk of klik op een perceel om informatie over het perceel te bekijken.