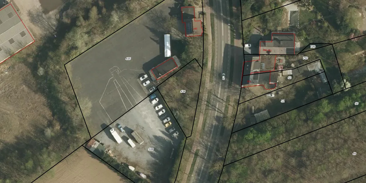
Perceel: UBH00-E-434
KadastraleKaart.com kan meer dan je denktOntdek meer ›
Filter op bestemming 50+ datasets Eigendomsdata in één klik Percelen CRM
Geen adressen bij dit perceel
585 m2 - 105 m
Eigenaar opvragen
UBH00-E-434 (Ubach over Worms)
- Geen postcode aanwezig
RkhlKvIEw06mXCQg2nB3NFVJ2Upgrade naar KadastraleKaart Pro
Bekijk op Street View
Download DWG/DXF/Excel
tRLAVLrO0xXNcISHe1gwUUpgrade naar KadastraleKaart Pro
gXh w47PY3Upgrade naar KadastraleKaart Pro
5X802mO9IQUpgrade naar KadastraleKaart Pro
PSs7VUirg1 Dk 4PUeUpgrade naar KadastraleKaart Pro
V4 0YB5q5 0dhNIILzH2Upgrade naar KadastraleKaart Pro
lGBXpazp7giikAUpgrade naar KadastraleKaart Pro
qiX1VIgpLlFjWAl6zzSiepEUpgrade naar KadastraleKaart Pro
oL3Bct XAvty04wtruV5PWYUpgrade naar KadastraleKaart Pro
ANuq6FbSBE1QQLJUpgrade naar KadastraleKaart Pro
jQ2tHyVBcoUpgrade naar KadastraleKaart Pro
07/12/2007

Percelen
Gebruik de zoekbalk of klik op een perceel om informatie over het perceel te bekijken.