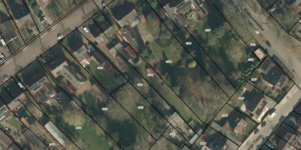
Perceel: UDH00-E-3184
KadastraleKaart.com kan meer dan je denktOntdek meer ›
Filter op bestemming 50+ datasets Eigendomsdata in één klik Percelen CRM
852 m2 - 228 m
Eigenaar opvragen
UDH00-E-3184 (Udenhout)
- 5071 ED
wBaQcy 16ba4jsBgKei2BllEUpgrade naar KadastraleKaart Pro
Verkoopprijs opvragen
Bekijk op Street View
Download DWG/DXF/Excel
roSnWM5bEF0zQoCUpgrade naar KadastraleKaart Pro
XvgXp x5oaJq4c7G89z5BqUpgrade naar KadastraleKaart Pro
ueRX F5b2XdKZUpgrade naar KadastraleKaart Pro
oodIxIk69VQUnbSVvRUpgrade naar KadastraleKaart Pro
33B8UNFOUpgrade naar KadastraleKaart Pro
KsrXCNjeFK xavLCU 8CJ2Upgrade naar KadastraleKaart Pro
ZM2Ouiij0eEITfHpHUpgrade naar KadastraleKaart Pro
oY7i fn3cxVjUpgrade naar KadastraleKaart Pro
oY lCTigRFjXb rL0iVmvUUpgrade naar KadastraleKaart Pro
Vpj 6sTgBA1LM0wy2 eAUpgrade naar KadastraleKaart Pro
08/02/2006

Percelen
Gebruik de zoekbalk of klik op een perceel om informatie over het perceel te bekijken.