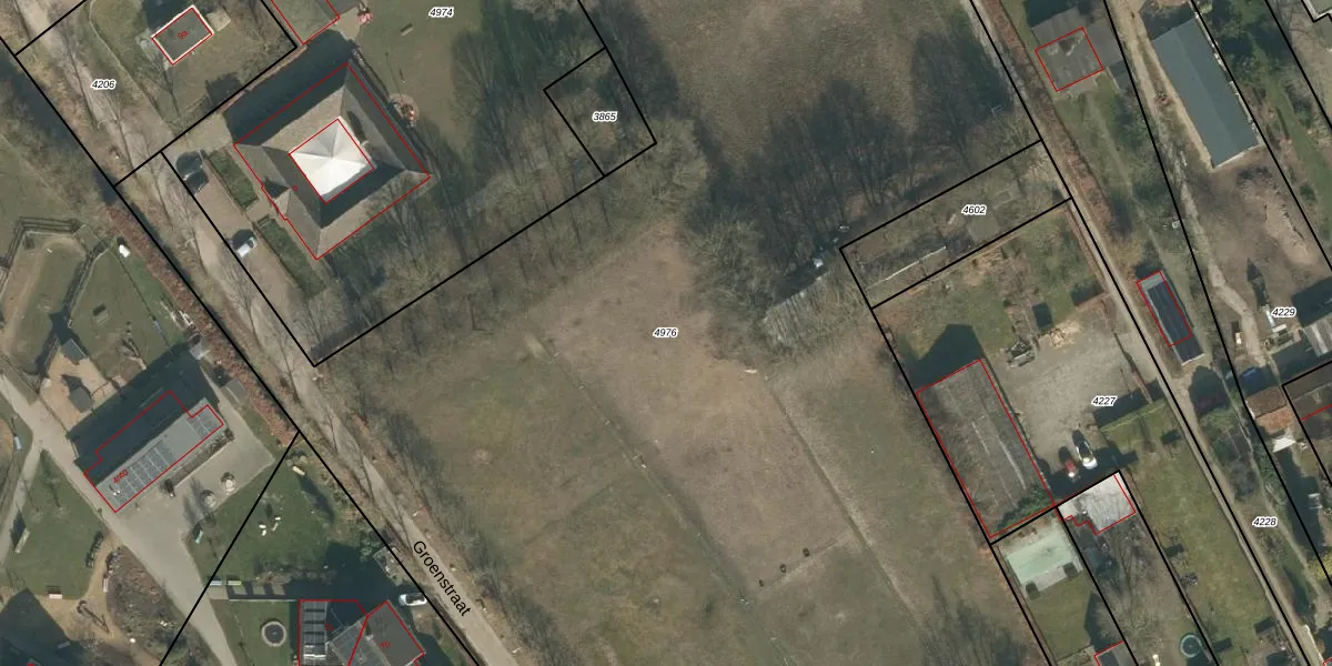
Perceel: UDH00-F-4976
Geen adressen bij dit perceel
11.688 m2 - 743 m
Eigenaar opvragen
UDH00-F-4976 (Udenhout)
- Geen postcode aanwezig
4EnBuneOg51q1FHL9JZUpgrade naar KadastraleKaart Pro
Bekijk op Street View
Download DWG/DXF/Excel
yk8s5 SDyZxAooUpgrade naar KadastraleKaart Pro
oqHwy 7Ec6ZMftE0Upgrade naar KadastraleKaart Pro
0uXJv6 MibUpgrade naar KadastraleKaart Pro
F0MYRmvAUpgrade naar KadastraleKaart Pro
15 qRZ1pbEsWeeVUpgrade naar KadastraleKaart Pro
eBZf2vedUpgrade naar KadastraleKaart Pro
wSN9 8n1cwQU5EkIYAfIUpgrade naar KadastraleKaart Pro
7M6YD0GCxLESkHhKoKyUpgrade naar KadastraleKaart Pro
igMiT6FnMGB4Upgrade naar KadastraleKaart Pro
pSO2WVtCvUpgrade naar KadastraleKaart Pro
29/03/2011

Percelen
Gebruik de zoekbalk of klik op een perceel om informatie over het perceel te bekijken.