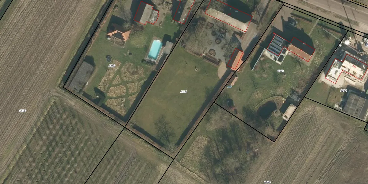
Perceel: UDH00-F-5199
3.485 m2 - 270 m
Eigenaar opvragen
UDH00-F-5199 (Udenhout)
- 5071 RA
1 GdwtpHRpKtVzvCBCb j Wu2ulmUpgrade naar KadastraleKaart Pro
Verkoopprijs opvragen
Bekijk op Street View
Download DWG/DXF/Excel
EjH8j6EEP763F4uVdl CUpgrade naar KadastraleKaart Pro
08QT cq4oZetn1Q oFgEV3VUpgrade naar KadastraleKaart Pro
IoDcbbAC1f2yIUpgrade naar KadastraleKaart Pro
qFtwmD cJZqmUpgrade naar KadastraleKaart Pro
MnzFjwzH7epz9 eX Upgrade naar KadastraleKaart Pro
uj KdxG8tQABJKQMpUpgrade naar KadastraleKaart Pro
lbITIr 3hAPeRQXQDUpgrade naar KadastraleKaart Pro
g8nKEy6gWG7GUpgrade naar KadastraleKaart Pro
WXmcIeoussb49xLH7ItUpgrade naar KadastraleKaart Pro
Cz9Q Bc lDARUH67hH5nKUpgrade naar KadastraleKaart Pro
16/10/2020

Percelen
Gebruik de zoekbalk of klik op een perceel om informatie over het perceel te bekijken.