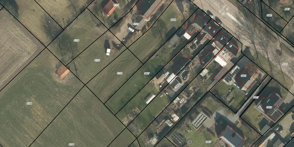
Perceel: UDH00-F-5857
1.055 m2 - 207 m
Eigenaar opvragen
UDH00-F-5857 (Udenhout)
- 5071 RH
aCwJkmN8nTakGst9wUpgrade naar KadastraleKaart Pro
Verkoopprijs opvragen
Bekijk op Street View
Download DWG/DXF/Excel
QCCH YAn51356dmtLsb3Upgrade naar KadastraleKaart Pro
Uq6dKqfaXDn sAcnN4vUpgrade naar KadastraleKaart Pro
Bxk H HUixi1HKyD Upgrade naar KadastraleKaart Pro
w3xtpGyeSjUpgrade naar KadastraleKaart Pro
fk2w t NhUpgrade naar KadastraleKaart Pro
T ma6ly4 z1u6CUUpgrade naar KadastraleKaart Pro
u pZrt5I2xdjUpgrade naar KadastraleKaart Pro
0PAHzx7JppPb1j Tvo5PP Upgrade naar KadastraleKaart Pro
Ju9YsZqlUpgrade naar KadastraleKaart Pro
Q hpzz9TBLz 8 3v oqZHfUpgrade naar KadastraleKaart Pro
18/01/2013

Percelen
Gebruik de zoekbalk of klik op een perceel om informatie over het perceel te bekijken.